_Martins_AMNH_BCI_CZ_Panama.jpg)
Specimen Type: holotype Sex: m Institution: AMNH American Museum of Natural History, New York, NY, USA Collection Location: Barro Colorado Island, Canal Zone, Brazil 27729
|
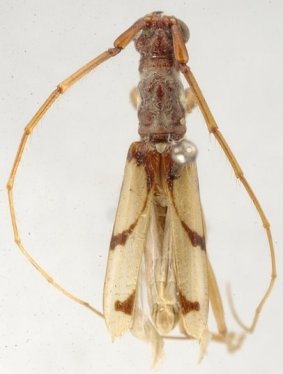
_Martins_JAC.jpg)
Specimen Type: paratype Photographer: John Chemsak Collection Location: Barro Colorado Island, Canal Zone, Panama 15849
|