_Kreische_MNHUB_Etappenberg_nr_Wewak_E_Sepik_Prov_PNG_U_Nylander_pic.jpg)
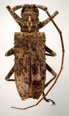
Specimen Type: holotype Sex: f Institution: ZMHB Museum für Naturkunde der Humboldt-Universität, Berlin, Germany Photographer: Ulf Nylander Collection Location: Etappenberg nr Wewak, E Sepik Province, Papua New Guinea 59252
|
_Kreische_MNHUB_Etappenberg_nr_Wewak_E_Sepik_Prov_PNG_U_Nylander_pic.jpg)
Specimen Type: holotype Sex: f Institution: ZMHB Museum für Naturkunde der Humboldt-Universität, Berlin, Germany Photographer: Ulf Nylander Collection Location: Etappenberg nr Wewak, E Sepik Province, Papua New Guinea 59253
|
_Gressitt_AMNH.jpg)
Potemnemus hispidus Gressitt Specimen Type: holotype Sex: f Institution: AMNH American Museum of Natural History, New York, NY, USA Collection Location: Mt. Mabion, Papua New Guinea 44154
|

Photographer: Jim Cope Collection Location: Papua New Guinea 44159
|

Institution: LIPI Lembaga Ilmu Pengetahuan, Bogor, Indonesia Photographer: Larry G. Bezark Collection Location: Irian Jaya, Papua New Guinea 44141
|

Institution: LIPI Lembaga Ilmu Pengetahuan, Bogor, Indonesia Photographer: Larry G. Bezark Collection Location: Irian Jaya, Papua New Guinea 44142
|
|