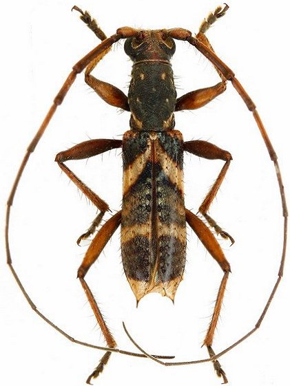
_Martins_CMNH.jpg)
Specimen Type: holotype Sex: f Institution: CMNH Carnegie Museum of Natural History, Pittsburgh, PA, USA Photographer: Steve Lingafelter Collection Location: Santarém, Para, Brazil 23951
|
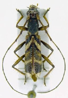
_Joly_IZFAM_Rio_Baria_Cerro_de_La_Neblina.jpg)
Compsibidion baria Joly Specimen Type: holotype Sex: f Institution: IZAFM Instituto de Zoología Agrícola, Faculdad de Agronomía de Maracay, Venezuela Collection Location: Río Baría, Cerro de La Neblina, DF, Venezuela 33229
|