New Search Family, Subfamily and Tribe List

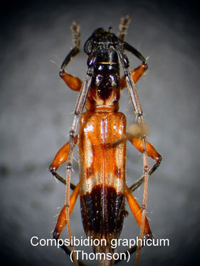
SubFamily Cerambycinae

Tribe Tropidini Neoibidionina
Compsibidion graphicum (Thomson, 1867)

Photographer: Larry G. Bezark
6014


Photographer: Jim Wappes
Collection Location: Bolivia
6015


Photographer: Jim Wappes
Collection Location: Bolivia
6016


24218


Photographer: Larry G. Bezark
Collection Location: Zanja Moroti, Paraguay
27332


Photographer: Ole Mehl
Collection Location: Department Alto Parana, Paraguay
36694

130425