_Martins_Resistencia_Chaco_Argentina_Museu_de_la_Plata_Arq_de_Zool.jpg)
Compsibidion femoratum Martins Specimen Type: holotype Sex: m Institution: Museu de la Plata Collection Location: Resistencia, Chaco, Argentina 23382
|
_LGBC_Chacurru_Paraguay 1.jpg)
Sex: m Institution: LGBC Larry G. Bezark Collection, Sacramento, California, USA Photographer: Larry G. Bezark Collection Location: Chacurru Ecotourism, Amambay, Paraguay 69693
|
_Chacurru_6-8mm_LGB.jpg)
Sex: f Institution: LGBC Larry G. Bezark Collection, Sacramento, California, USA Photographer: Larry G. Bezark Collection Location: Chacurru Ecotourism, Amambay, Paraguay 18931
|
_Chacurru_6-8mm_LGB.jpg)
Sex: f Institution: LGBC Larry G. Bezark Collection, Sacramento, California, USA Photographer: Larry G. Bezark Collection Location: Chacurru Ecotourism, Amambay, Paraguay 18932
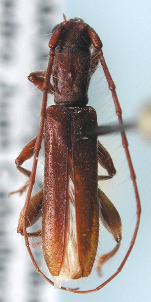
|

Photographer: Antonio Santos-Silva 27127
|
|