_Gounelle_BMNH_MG_Brazil_now_Compsibidion_fairmairei_LGB.jpg)
Ibidion arcufera Gounelle Specimen Type: syntype Institution: BMNH British Museum Natural History, London, UK Photographer: Larry G. Bezark Collection Location: Minas Gerais, Brazil 46880
|
_Paraguay_Dep_Caazapa_Mehl.jpg)
Photographer: Ole Mehl Collection Location: Department Caazapa, Paraguay 36696
|
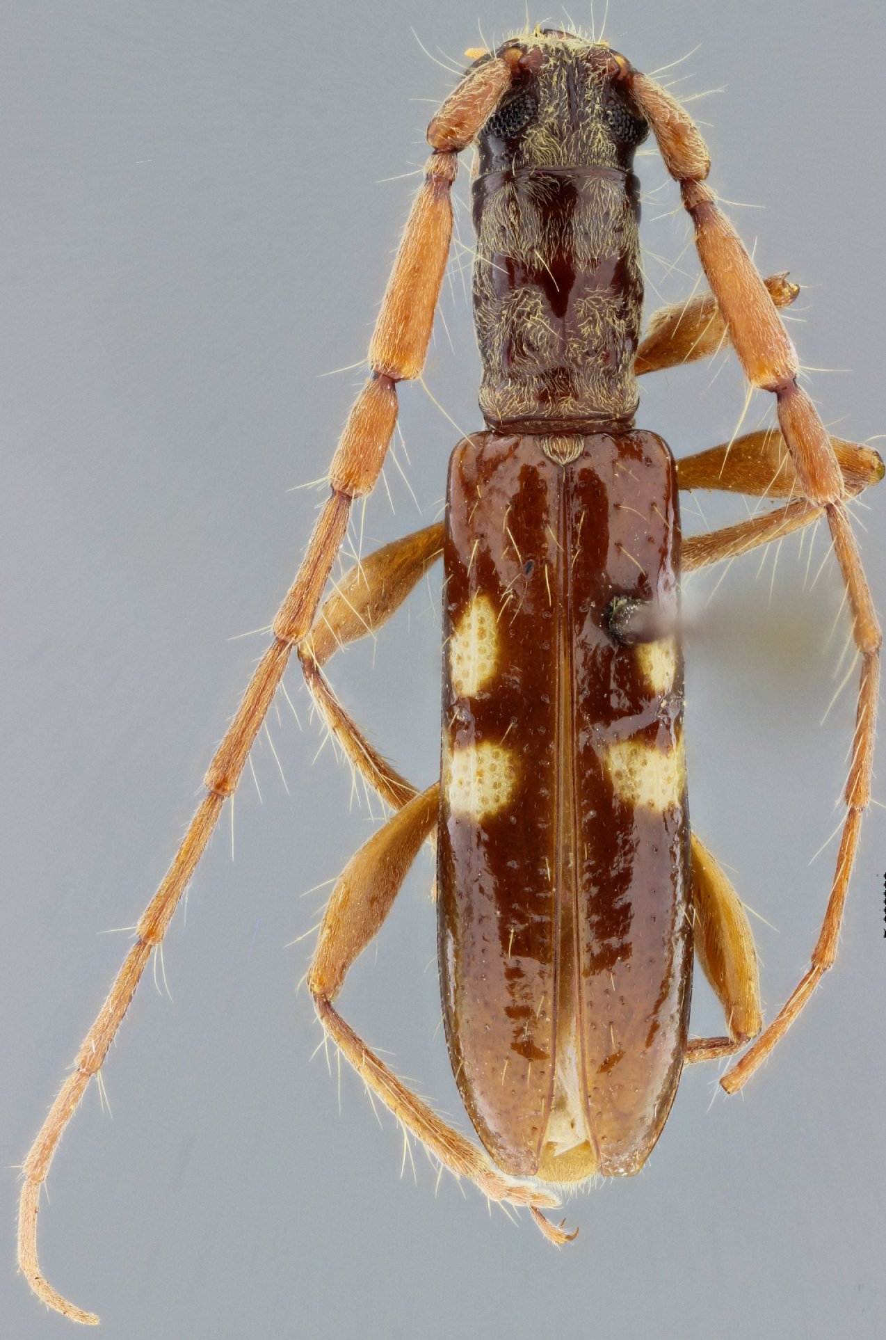
_Det_Santos-Silva_Brasil_Sao_Paolo_LGB.jpg)
Photographer: Larry G. Bezark Determiner: Santos-Silva Collection Location: Sao Paolo, Brazil 21786
|
_Bolivia_Wappes_Photo.jpg)
Photographer: Jim Wappes Collection Location: Bolivia 6012
|
_Det_Martins_Bolivia_UCB.jpg)
Institution: UCB Essig Museum of Entomology, Berkeley, California, USA Photographer: Larry G. Bezark Determiner: Martins Collection Location: Bolivia 6013
|
_Thomson_Nascimento_SS_pic.jpg)
Photographer: Antonio Santos-Silva Determiner: Santos-Silva 21785
|