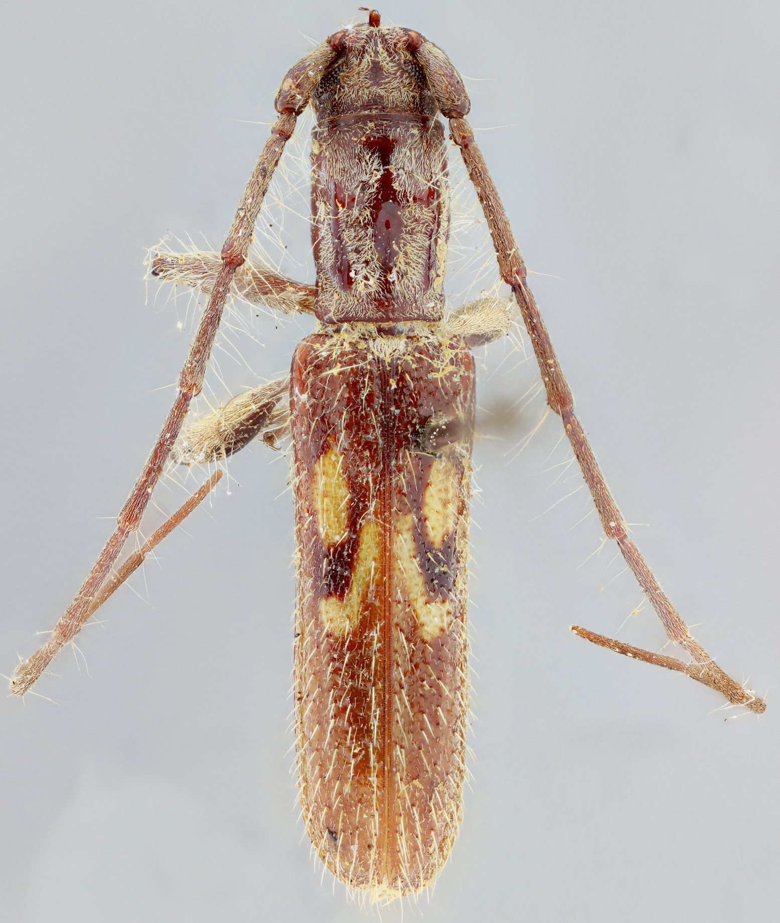
_Martins_MZSP_Salobra_MS_Brazil_SS.jpg)
Specimen Type: holotype Sex: m Institution: MZSP Museu de Zoologia da Universidade de São Paulo, Brazil Photographer: Antonio Santos-Silva Collection Location: Salobra, Mato Grosso do Sul, Brazil 68182
|
_Paraguay_Dep_Paraguari_Mehl.jpg)
Photographer: Ole Mehl Collection Location: Department Paraguari, Paraguay 36692
|

Institution: LGBC Larry G. Bezark Collection, Sacramento, California, USA Photographer: Larry G. Bezark Collection Location: Chacurru Ecotourism, Amambay, Paraguay 24217
|
|