_Dillon_and_Dillon_Guadalcanar_Island_Solomon_Is_MCZ.jpg)
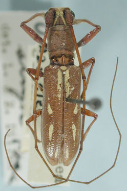
Olenecamptus strigosus guadalcanalus Dillon & Dillon Specimen Type: holotype Sex: m Institution: MCZ Museum of Comparative Zoology, Harvard University, Cambridge, MA, USA Photographer: P. Naskrecki, P. Perkins, and B. Farrell Collection Location: Guadalcanal Island, Solomon Islands 36222
|
_Dillon_and_Dillon_Guadalcanar_Island_Solomon_Is_MCZ.jpg)
Olenecamptus strigosus guadalcanalus Dillon & Dillon Specimen Type: holotype Sex: m Institution: MCZ Museum of Comparative Zoology, Harvard University, Cambridge, MA, USA Photographer: P. Naskrecki, P. Perkins, and B. Farrell Collection Location: Guadalcanal Island, Solomon Islands 36223
|
_Dillon_and_Dillon_Guadalcanar_Island_Solomon_Is_MCZ.jpg)
Olenecamptus strigosus guadalcanalus Dillon & Dillon Specimen Type: holotype Sex: m Institution: MCZ Museum of Comparative Zoology, Harvard University, Cambridge, MA, USA Photographer: P. Naskrecki, P. Perkins, and B. Farrell Collection Location: Guadalcanal Island, Solomon Islands 36224
|
_Dillon_and_Dillon_Guadalcanar_Island_Solomon_Is_MCZ.jpg)
Olenecamptus strigosus guadalcanalus Dillon & Dillon Specimen Type: holotype Sex: m Institution: MCZ Museum of Comparative Zoology, Harvard University, Cambridge, MA, USA Photographer: P. Naskrecki, P. Perkins, and B. Farrell Collection Location: Guadalcanal Island, Solomon Islands 36225
|

Institution: CAS California Academy of Sciences, San Francisco, CA, USA Photographer: Larry G. Bezark Determiner: Dillon & Dillon 55089
|

Institution: LGBC Larry G. Bezark Collection, Sacramento, California, USA Photographer: Larry G. Bezark 55090
|
|