New Search Family, Subfamily and Tribe List

SubFamily Lamiinae

Tribe Dorcaschematini
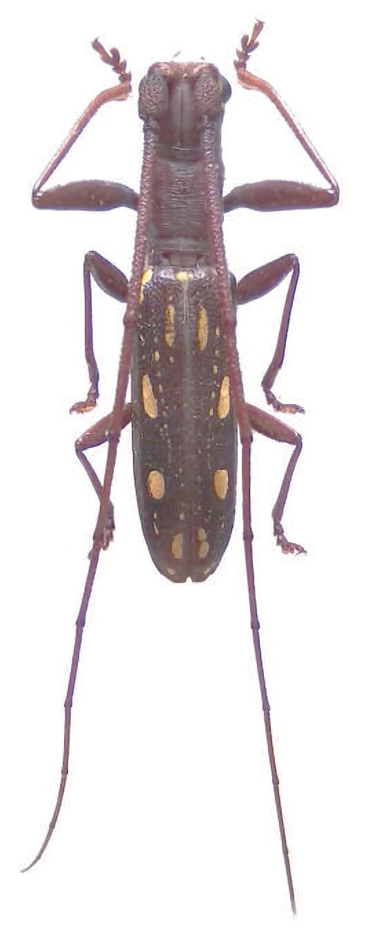
Olenecamptus pseudostrigosus pseudostrigosus Dillon & Dillon 1938

Sex: m
Institution: Vives Collection
Photographer: Eduard Vives
Collection Location: vic Mao, Changlang district, Arunachar Pradesh, NE India
96942

130425