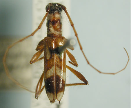
_BMNH_Jatai_Goias_Brazil_nowCompsibidion_LGB.jpg)
Octoplon campestre (Gounelle) Specimen Type: syntype Institution: BMNH British Museum Natural History, London, UK Photographer: Larry G. Bezark Collection Location: Jatai, Goias, Brazil 47117
|
_Det_Martins_Bolivia_UCB.jpg)
Institution: UCB Essig Museum of Entomology, Berkeley, California, USA Photographer: Larry G. Bezark Determiner: Martins Collection Location: Bolivia 6006
|