New Search Family, Subfamily and Tribe List

SubFamily Lamiinae

Tribe Dorcaschematini
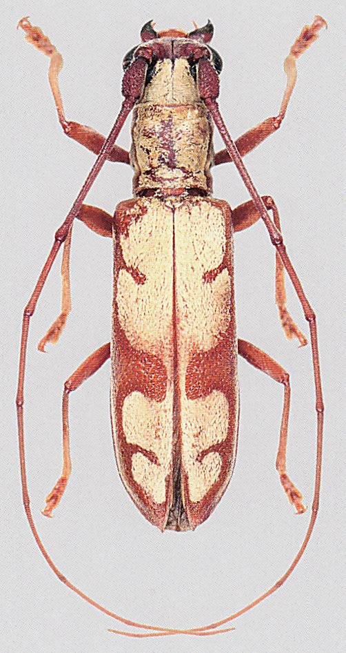
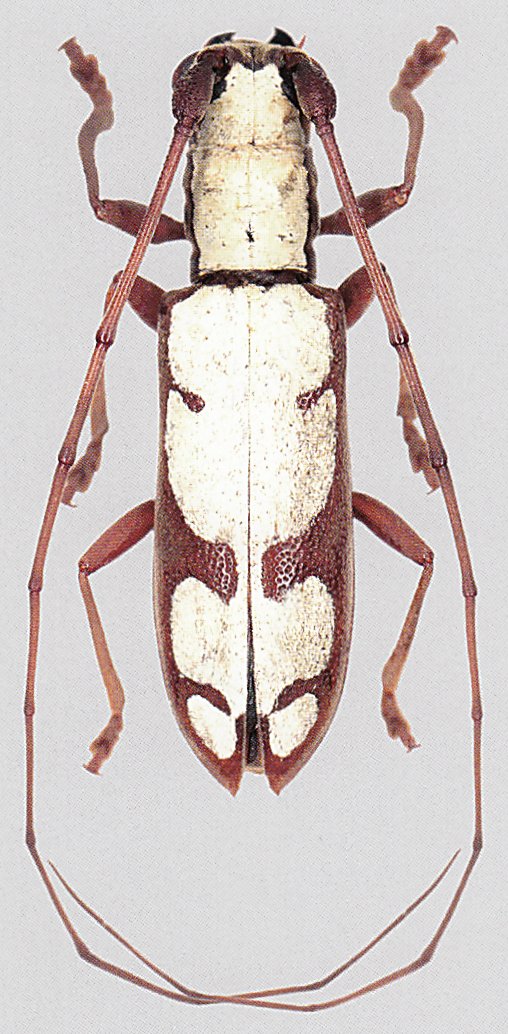
Olenecamptus albidus Jordan 1894

Sex: m
Photographer: Karl Adlbauer
Collection Location: Ethiopia
72705


Sex: f
Photographer: Karl Adlbauer
Collection Location: Ethiopia
72706

130425