New Search Family, Subfamily and Tribe List

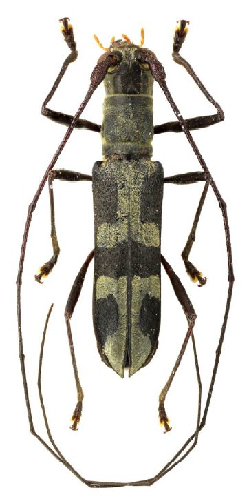
SubFamily Lamiinae

Tribe Dorcaschematini
Cylindrepomus nigrofasciatus Blanchard 1853

Institution: LGBC Larry G. Bezark Collection, Sacramento, California, USA
Photographer: Larry G. Bezark
Collection Location: Ivimka, Papua New Guinea
36233


Photographer: Arvids Barševskis
Collection Location: Jayapura, Papua New Guinea
36234

130425