New Search Family, Subfamily and Tribe List

SubFamily Lamiinae

Tribe Dorcaschematini
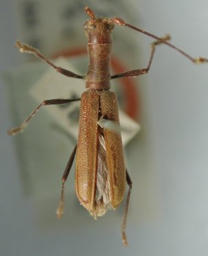
Cylindrepomus javanicus Breuning 1936

Specimen Type: holotype
Institution: BMNH British Museum Natural History, London, UK
Photographer: Larry G. Bezark
Collection Location: Java, Indonesia
47509

130425