New Search Family, Subfamily and Tribe List

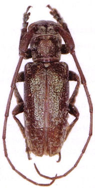
SubFamily Lamiinae

Tribe Protonarthrini
Brachynarthron aeneipennis Breuning 1956

Determiner: Les Cahiers Magellanes
34043

130425