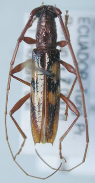
_Martins_AMNH_Banos_Tungurahua_Ecuador_=_Brechmoidion.jpg)
Octoplon exicisifrons Martins Specimen Type: holotype Sex: m Institution: AMNH American Museum of Natural History, New York, NY, USA Collection Location: Banos Tungurahua, Ecuador 27866
|
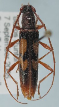
_SS.jpg)
Octoplon excisifrons Martins Specimen Type: paratype Institution: MZSP Museu de Zoologia da Universidade de São Paulo, Brazil Photographer: Antonio Santos-Silva Collection Location: Banos Tungurahua, Ecuador 62383
|
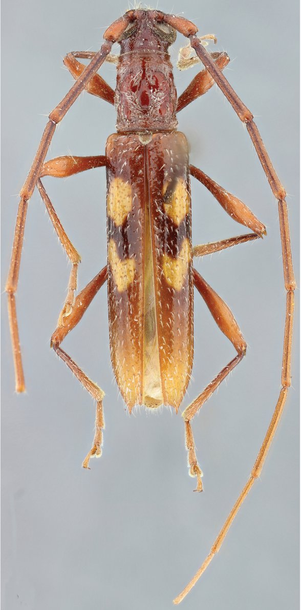
.jpg)
Institution: FTH Frank T. Hovore collection (now at California Academy of Sciences) Photographer: Larry G. Bezark Collection Location: Tungurahua, Pichincha Province, Ecuador 28079
|
_Ceram_do_Sul.jpg)
24200
|
_FTH_Ecuador.jpg)
Institution: FTH Frank T. Hovore collection (now at California Academy of Sciences) Photographer: Larry G. Bezark Collection Location: Ecuador 5081
|
.jpg)
Institution: FTH Frank T. Hovore collection (now at California Academy of Sciences) Photographer: Larry G. Bezark Collection Location: Tungurahua, Pichincha Province, Ecuador 28080
|
|