_Martins_Brazil_USNM_SWL_=_Tropidion_sipolisi_(Gounelle).jpg)
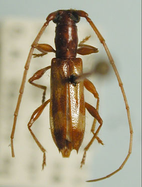
Ibidion haliki Martins Specimen Type: holotype Sex: m Institution: NMNH United States National Museum, Washington, DC, USA Photographer: Steve Lingafelter Collection Location: Hôrto Florestal da Cantareira, Sao Paolo, Brazil 8656
|
_Det_Martins_Brazil_UCB.jpg)
Institution: UCB Essig Museum of Entomology, Berkeley, California, USA Photographer: Larry G. Bezark Determiner: Martins Collection Location: Brazil 14494
|