New Search Family, Subfamily and Tribe List

SubFamily Cerambycinae

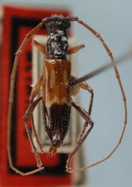
Tribe Tropidini Tropidina
Tropidion silvestre (Martins, 1965)

Specimen Type: metatype
Institution: MNRJ Museu Nacional Universidade do Rio Janeiro, Brazil
Photographer: Larry G. Bezark
Determiner: Bira Martins
Collection Location: Parque Sooretama, Linhares, Espirito Santo, Brazil
33945

130425