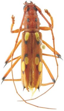
_MZSP_Caracarai_Vila_Caicubi_trilha_Paraguay_Roraima_Brazil_SS.jpg)
Specimen Type: holotype Sex: m Institution: MZSP Museu de Zoologia da Universidade de São Paulo, Brazil Photographer: Antonio Santos-Silva Collection Location: Caracarai, Vila Caicubi, trilha Paraguay, Roraima, Brazil 63386
|
_Mart_and_Galil_MZSP_Caracarai_Vila_Caicubi_trilha_Paraguay_RR_Braz.jpg)
Specimen Type: holotype Sex: m Institution: MZSP Museu de Zoologia da Universidade de São Paulo, Brazil Collection Location: Caracarai, Vila Caicubi, trilha Paraguay, Roraima, Brazil 37481
|