New Search Family, Subfamily and Tribe List

SubFamily Lamiinae

Tribe Saperdini
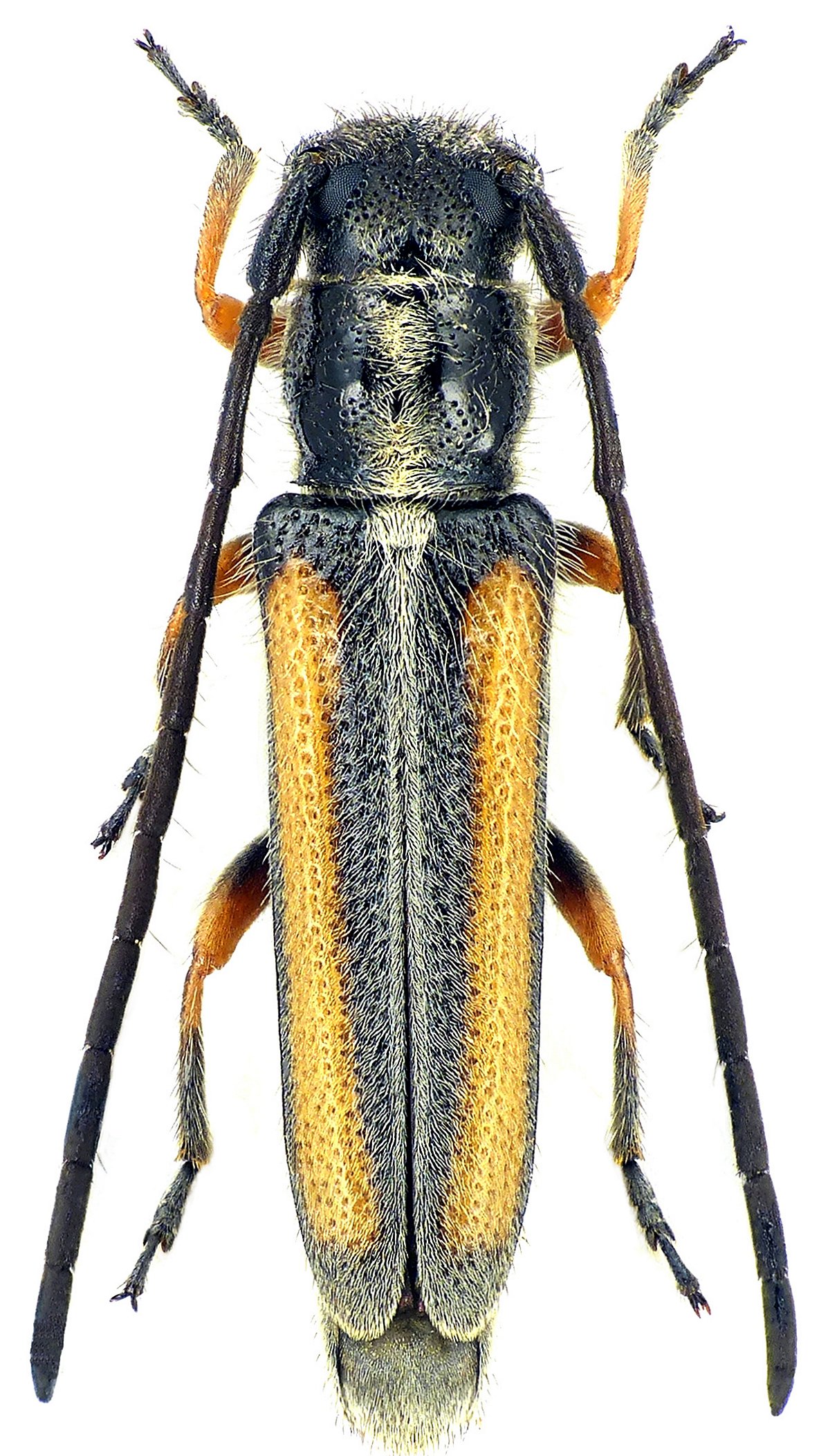
Phytoecia vittipennis vittipennis Reiche 1877

Photographer: Michal Hoskovec
56809


Photographer: Navratil & Hoskovec
Collection Location: vic Eibenthal Village, Mehedinti County, SW Romania
81828

130425