New Search Family, Subfamily and Tribe List

SubFamily Lamiinae

Tribe Saperdini
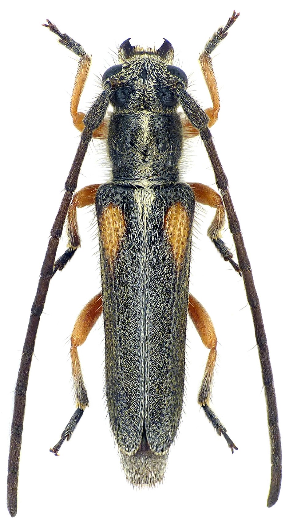
Phytoecia vittipennis leuthneri Ganglbauer 1886

Photographer: Navratil & Hoskovec
Collection Location: vic Kessab, Latakia Governorate, NW Syria
81829

130425