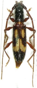
_MZSP_Martins_Barueri_SP_Brazil__now_Tropidion_SS.jpg)
Ibidion pictipenne Martins Specimen Type: holotype Sex: f Institution: MZSP Museu de Zoologia da Universidade de São Paulo, Brazil Photographer: Antonio Santos-Silva Collection Location: Barueri, Sao Paolo, Brazil 69033
|
_MZSP_Martins_Barueri_SP_Brazil__now_Tropidion_SS.jpg)
Ibidion pictipenne Martins Specimen Type: paratype Sex: m Institution: MZSP Museu de Zoologia da Universidade de São Paulo, Brazil Photographer: Antonio Santos-Silva Collection Location: Barueri, Sao Paolo, Brazil 69034
|
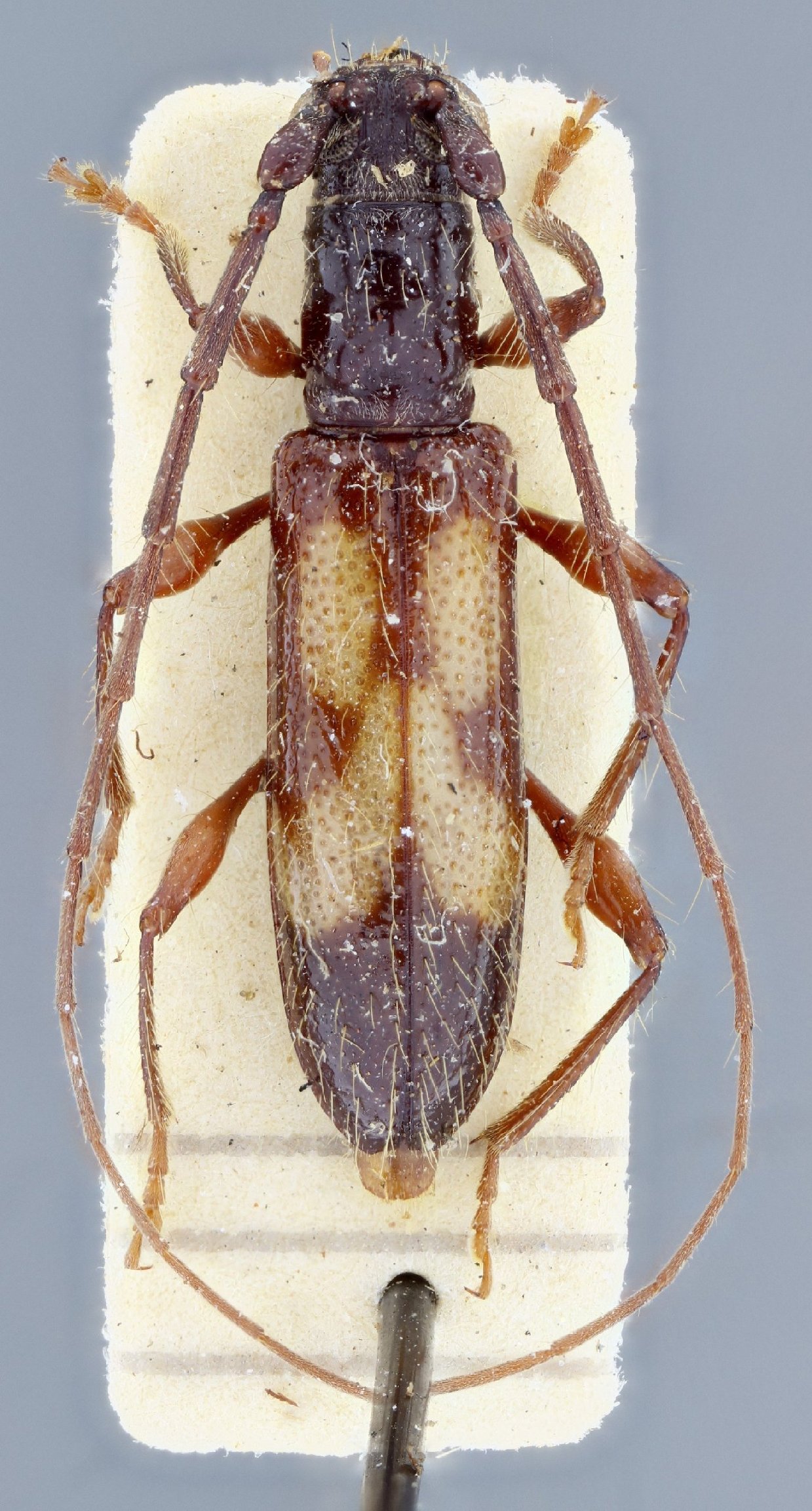
_MZSP_Martins_Brazil__now_Tropidion_SS.jpg)
Ibidion pictipenne Martins Specimen Type: paratype Sex: m Institution: MZSP Museu de Zoologia da Universidade de São Paulo, Brazil Photographer: Antonio Santos-Silva 69035
|
_MZSP_Martins_Parana_Brazil__now_Tropidion_SS.jpg)
Ibidion pictipenne Martins Specimen Type: paratype Sex: m Institution: MZSP Museu de Zoologia da Universidade de São Paulo, Brazil Photographer: Antonio Santos-Silva Collection Location: Parana, Brazil 69036
|
_MZSP_Martins_Parana_Brazil__now_Tropidion_SS.jpg)
Ibidion pictipenne Martins Specimen Type: paratype Sex: m Institution: MZSP Museu de Zoologia da Universidade de São Paulo, Brazil Photographer: Antonio Santos-Silva Collection Location: Parana, Brazil 69037
|
_MZSP_Martins_Barueri_SP_Brazil__now_Tropidion_SS.jpg)
Ibidion pictipenne Martins Specimen Type: paratype Sex: f Institution: MZSP Museu de Zoologia da Universidade de São Paulo, Brazil Photographer: Antonio Santos-Silva Collection Location: Barueri, Sao Paolo, Brazil 69038
|
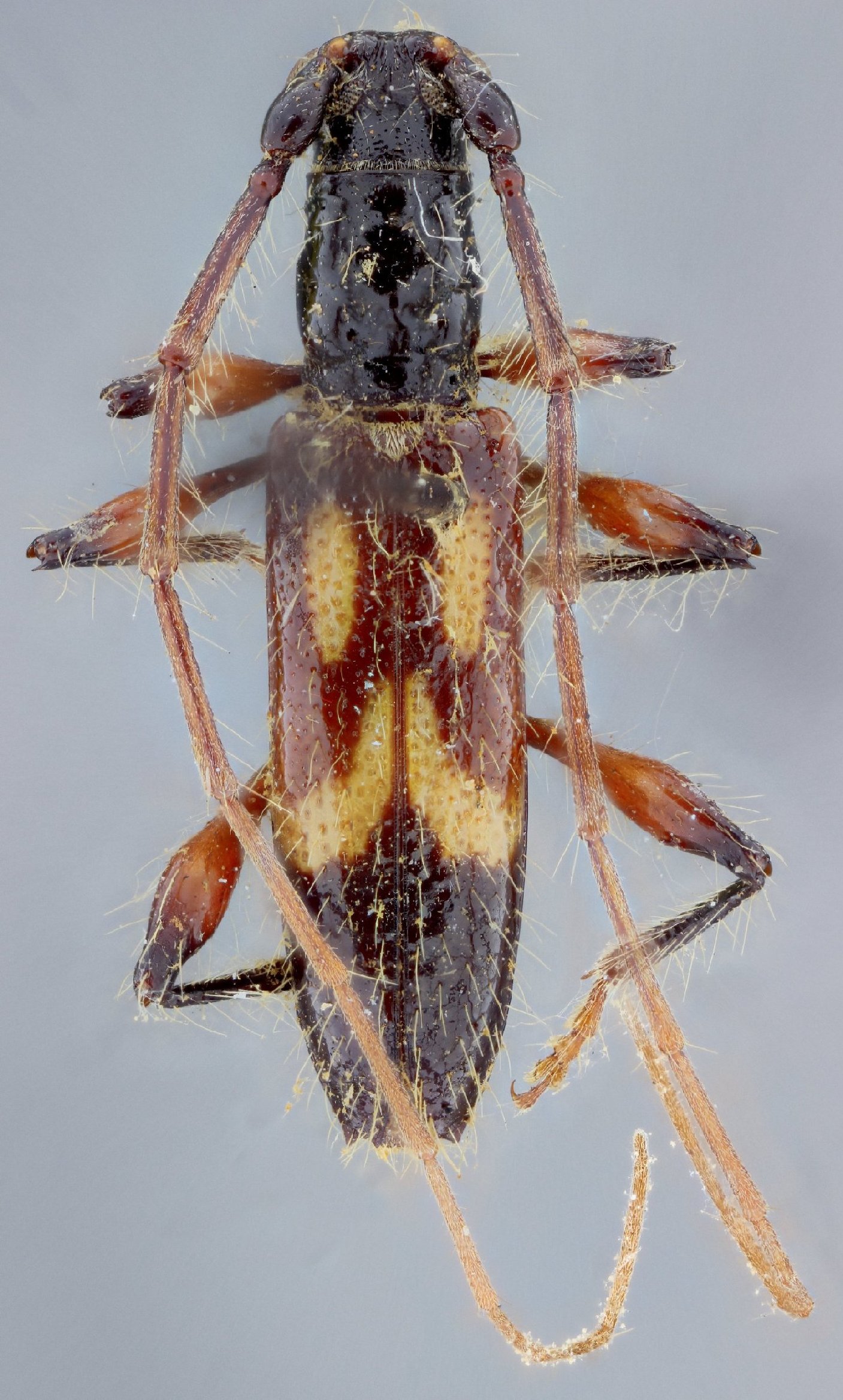
_MZSP_Martins_SC_Brazil_now_Tropidion_SS.jpg)
Ibidion pictipenne Martins Specimen Type: paratype Sex: f Institution: MZSP Museu de Zoologia da Universidade de São Paulo, Brazil Photographer: Antonio Santos-Silva Collection Location: Santa Catarina, Brazil 69039
|
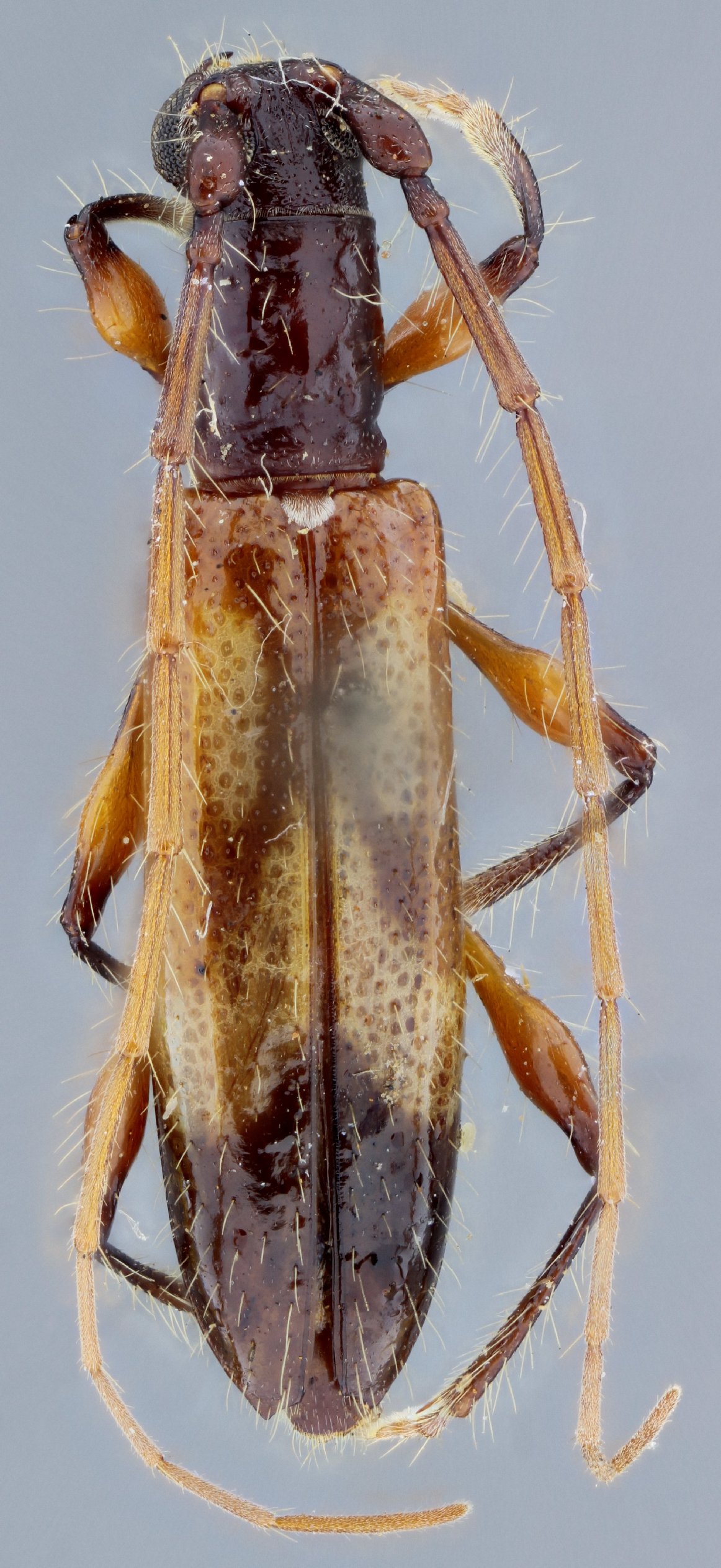
_(Martins)_Bolivia_Wappes_Photo.jpg)
Ibidion pictipenne (Martins) Specimen Type: paratype Photographer: Jim Wappes Collection Location: Bolivia 14483
|
_Det_Martins_Sao_Paolo_UCB.jpg)
Institution: UCB Essig Museum of Entomology, Berkeley, California, USA Photographer: Larry G. Bezark Determiner: Martins Collection Location: Sao Paolo, Brazil 14482
|

Institution: LGBC Larry G. Bezark Collection, Sacramento, California, USA Photographer: Larry G. Bezark Collection Location: Chacurru Ecoturismo, Amambay, Paraguay 69043
|
_Paraguay_Dep_Boqueron_Mehl.jpg)
Photographer: Ole Mehl Collection Location: Department Boqueron, Paraguay 36945
|

Institution: LGBC Larry G. Bezark Collection, Sacramento, California, USA Photographer: Larry G. Bezark Collection Location: Chacurru Ecoturismo, Amambay, Paraguay 69044
|
_Paraguay_Dep_Presidente_Hayes_Mehl.jpg)
Photographer: Ole Mehl Collection Location: Department President Hayes, Paraguay 36941
|