_Martins_MNRJ_SWL_=_Tropidion_persimile.jpg)
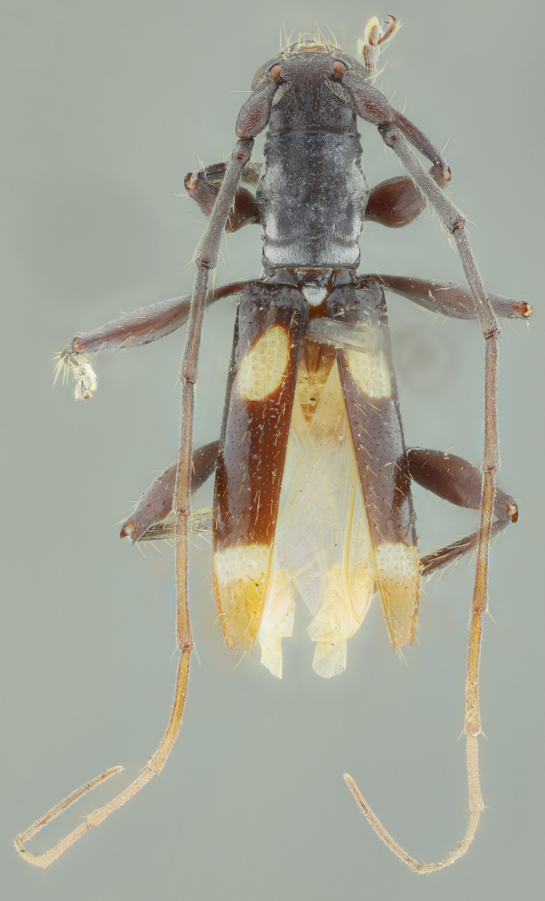
Octoplon persimilis Martins Specimen Type: holotype Sex: m Institution: MNRJ Museu Nacional Universidade do Rio Janeiro, Brazil Photographer: Steve Lingafelter Collection Location: Cachimbo, Para, Brazil 10912
|
 Martins MZSP Cachimbo, Para, Brazil now Tropidion SS.jpg)
Octoplon persimile Martins Specimen Type: paratype Sex: m Institution: MZSP Museu de Zoologia da Universidade de São Paulo, Brazil Photographer: Antonio Santos-Silva Collection Location: Cachimbo, Para, Brazil 98905
|