New Search Family, Subfamily and Tribe List

SubFamily Cerambycinae

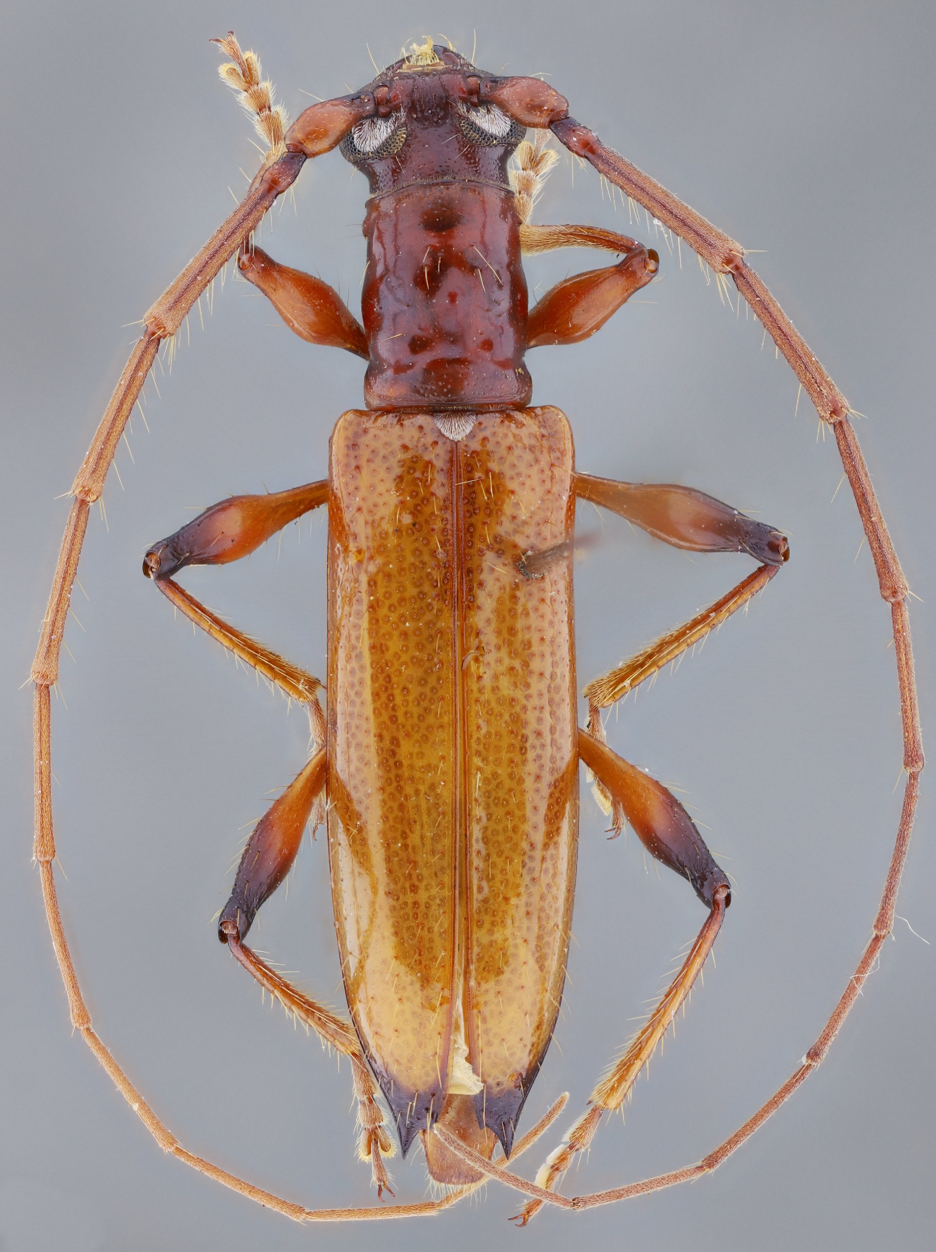
Tribe Tropidini Tropidina
Tropidion periboeoides (Thomson, 1867)

26827


Sex: f
Institution: MZSP Museu de Zoologia da Universidade de São Paulo, Brazil
Photographer: Antonio Santos-Silva
Collection Location: Rio de Janeiro, Rio de Janeiro, Brazil
96013

130425