_Martins_MNRJ_SWL_=_Tropidion.jpg)
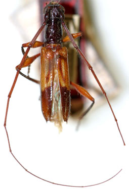
Ibidion investitum Martins Specimen Type: holotype Sex: f Institution: MNRJ Museu Nacional Universidade do Rio Janeiro, Brazil Photographer: Steve Lingafelter Collection Location: Nova Teutônia, Santa Catarina, Brazil 8659
|
_Martins_MNRJ_SWL_=_Tropidion_investitum_(Martins).jpg)
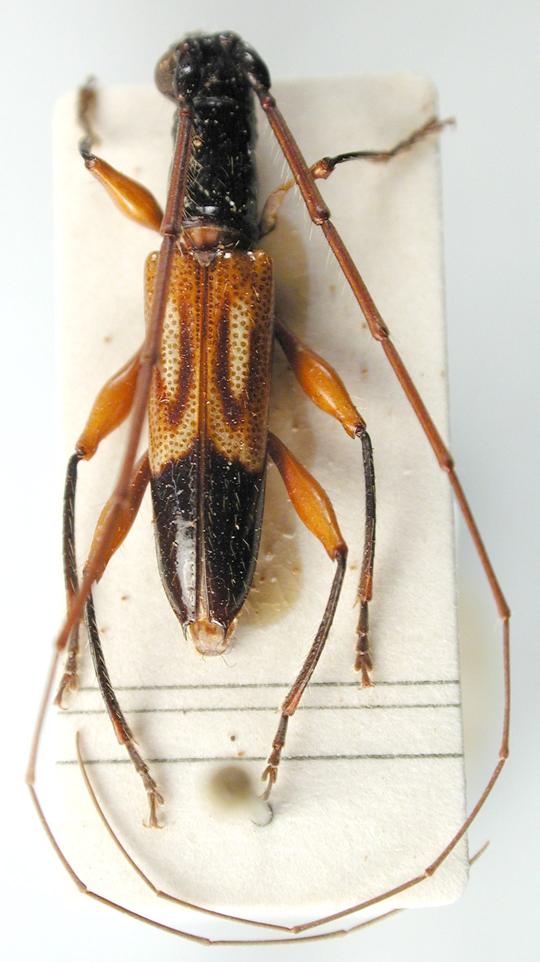
Ibidion clavicorne Martins Specimen Type: holotype Sex: m Institution: MNRJ Museu Nacional Universidade do Rio Janeiro, Brazil Photographer: Steve Lingafelter Collection Location: Córrego do Itá, Espirito Santo, Brazil 8651
|
.jpg)
14478
|
 Nova Teutonia, Santa Catarina, Brazil det Huedepohl JCPC LGB.jpg)
Institution: JCPC Jim Cope Collection, San Jose, California, USA now at CSCA, Sacramento Photographer: Larry G. Bezark Determiner: Ernst Huedeophl Collection Location: Nova Teutonia, Santa Catarina, Brazil 98112
|
|