_Martins_MNRJ_SWL_=_Tropidion.jpg)
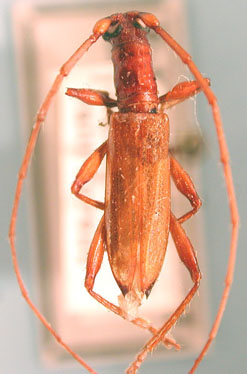
Ibidion flavum Martins Specimen Type: holotype Sex: m Institution: MNRJ Museu Nacional Universidade do Rio Janeiro, Brazil Photographer: Steve Lingafelter Collection Location: Marilia, Sao Paolo, Brazil 8655
|
.jpg)
14472
|
_Bolivia_Wappes_Photo.jpg)
Photographer: Jim Wappes Collection Location: Bolivia 14473
|
|