
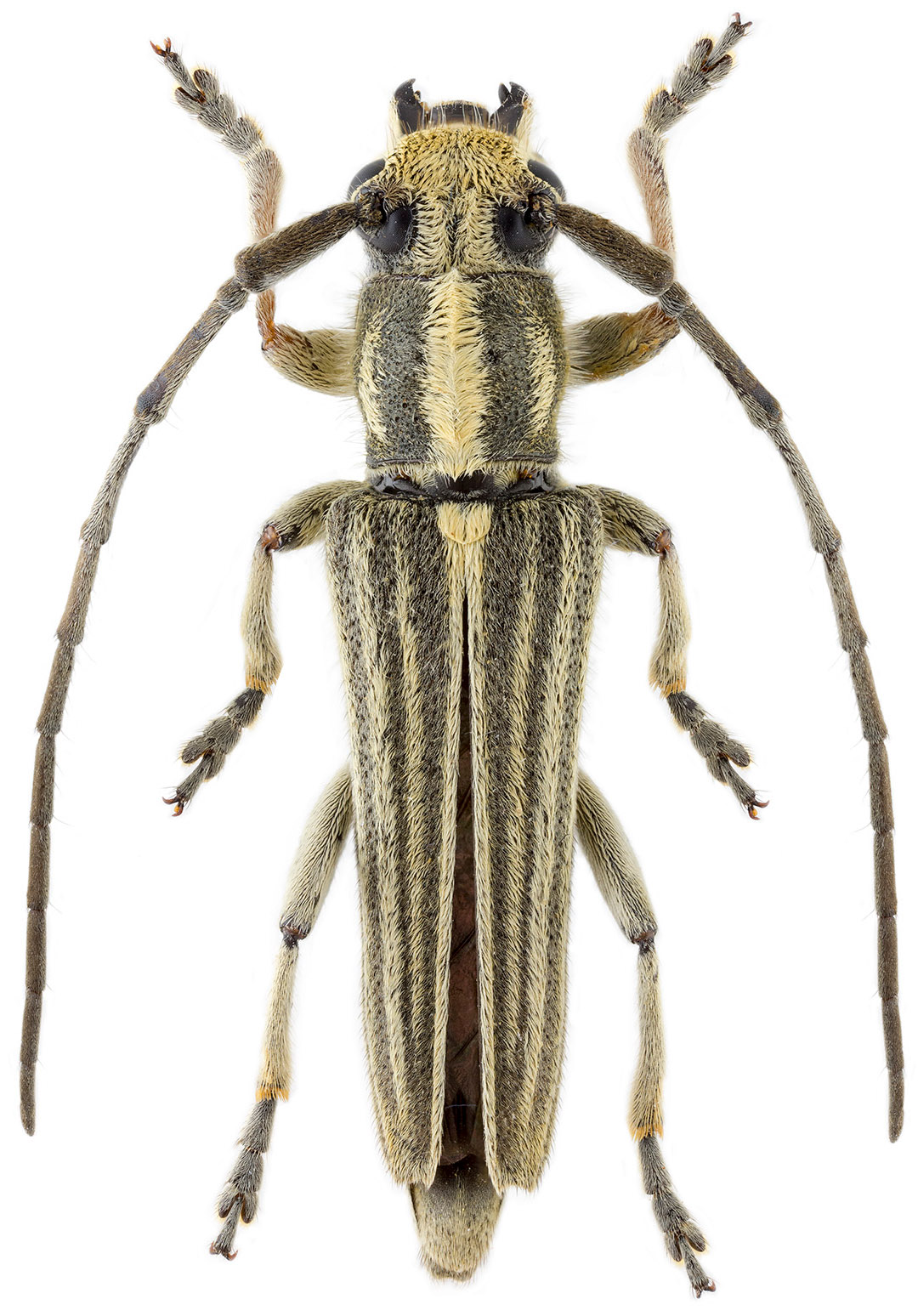
Photographer: Jelinek & Hoskovec Collection Location: vic Shamsir, Kermanshah Province, Iran 81520
|
 Pt Bayer-ahmad, Udoli Kul Gol, Iran det Tichy JCPC LGB.jpg)
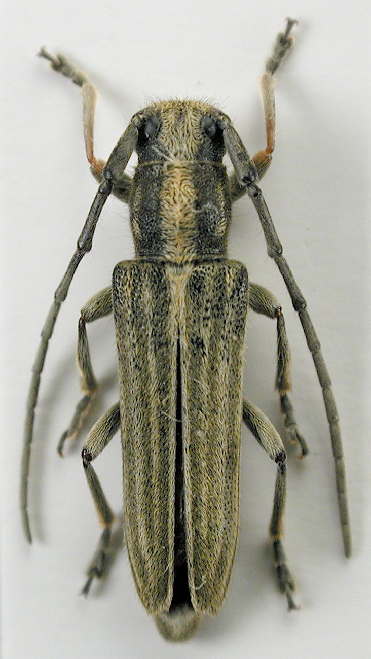
Institution: JCPC Jim Cope Collection, San Jose, California, USA now at CSCA, Sacramento Photographer: Larry G. Bezark Determiner: Tomas Tichy Collection Location: Pt Bayer-ahmad, Udoli Kul Gol, Iran 99085
|