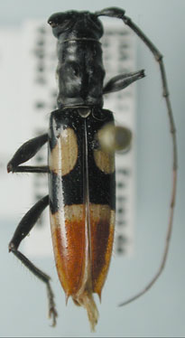
_Martins_Bolivia_USNM_SWL_=_Tropidion.jpg)
Octoplon erythrurum Martins Specimen Type: holotype Sex: f Institution: NMNH United States National Museum, Washington, DC, USA Photographer: Steve Lingafelter Collection Location: Provincia Chaparé, Beni, Bolivia 10910
|
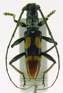
_(Martins)_Bolivia_Wappes_Photo.jpg)
Octoplon erythrurum Martins Specimen Type: holotype Sex: f Institution: NMNH United States National Museum, Washington, DC, USA Photographer: Jim Wappes Collection Location: Provincia Chaparé, Beni, Bolivia 14462
|
 Conceicao dos Quros, Minas Gerais, Brazil LGBC.jpg)
Institution: LGBC Larry G. Bezark Collection, Sacramento, California, USA Photographer: Larry G. Bezark Collection Location: Conceicao dos Quros, Minas Gerais, Brazil 96135
|
 (Martins) Conceicao dos Quros, Minas Gerais, Brazil LGBC.jpg)
Institution: LGBC Larry G. Bezark Collection, Sacramento, California, USA Photographer: Larry G. Bezark Collection Location: Conceicao dos Quros, Minas Gerais, Brazil 96136
|
_Det_Hovore_UCD.jpg)
Institution: UCD University of California, Davis, California, USA Photographer: Larry G. Bezark Determiner: Hovore 14463
|
_LGB.jpg)
Institution: FTH Frank T. Hovore collection (now at California Academy of Sciences) Photographer: Larry G. Bezark Collection Location: El Llano, Panama 14464
|
_Faure_French_Guiana.jpg)
Photographer: Denis Faure Collection Location: French Guiana 26817
|
_plate_Arq_de_Zoo.jpg)
26818
|
|