New Search Family, Subfamily and Tribe List

SubFamily Cerambycinae

Tribe Tropidini Tropidina
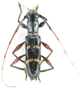
Tropidion cinctulum (Bates, 1870)

Octoplon cinctulum Bates
Specimen Type: holotype
Sex: m
Institution: MNHN Museum of Natural History Paris, France
Collection Location: Rio Tapajós, Para, Brazil
17648


Photographer: Denis Faure
Collection Location: French Guiana
26812


Photographer: Jean-Louis Giuglaris
Collection Location: Belizon, French Guiana
29414

130425