_Bates_Santo_Domingo_Chontales_Nic_BMNH_now_Tropidion_LGB.jpg)
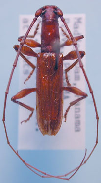
Ibidion carinicolle Bates Specimen Type: holotype Sex: m Institution: BMNH British Museum Natural History, London, UK Photographer: Larry G. Bezark Collection Location: Santo Domingo, Chontales, Nicaragua 46886
|
.jpg)
14448
|
_BCA.jpg)
Institution: BCA Biologia Centrali Americana 14449
|
_Det_Hovore_UCD.jpg)
Sex: m Institution: UCD University of California, Davis, California, USA Photographer: Larry G. Bezark Determiner: Hovore Collection Location: Barro Colorado Island, Canal Zone, Panama 14450
|
|