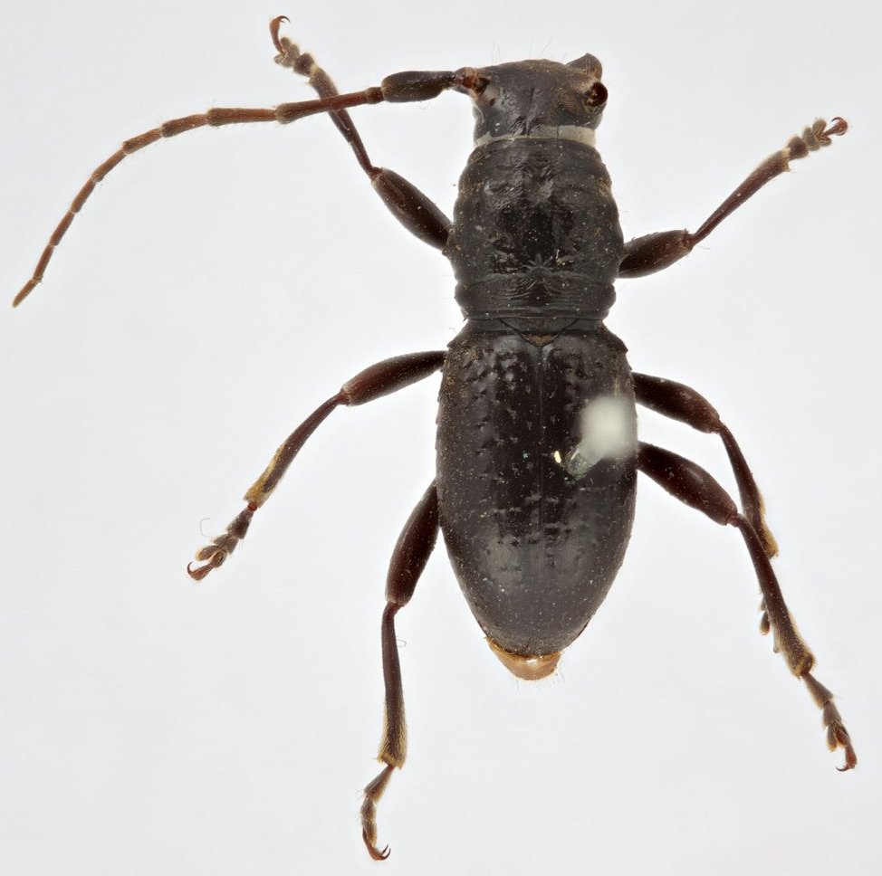
_Wollaston_BMNH_Paradeucalion_KM.jpg)
Deucalion desertarum Wollaston Specimen Type: lectotype Institution: BMNH British Museum Natural History, London, UK Photographer: Keita Matsumoto Collection Location: Isla Deserta Grande, Madeira, Portugal 65855
|
_Wollaston_BMNH_Paradeucalion_KM.jpg)
Deucalion desertarum Wollaston Specimen Type: lectotype Institution: BMNH British Museum Natural History, London, UK Photographer: Keita Matsumoto Collection Location: Isla Deserta Grande, Madeira, Portugal 65856
|
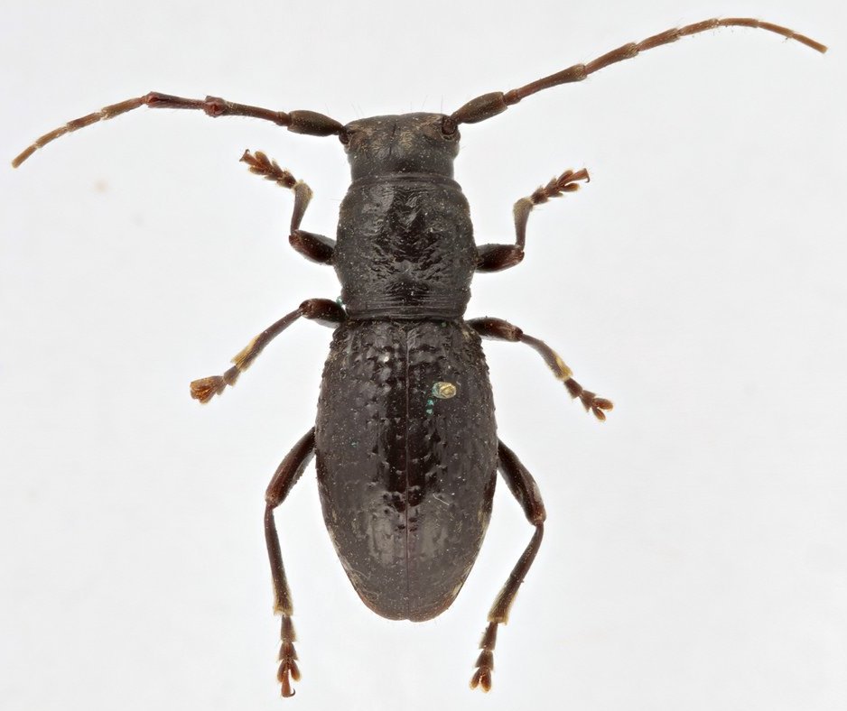
_Wollaston_BMNH_Paradeucalion_KM.jpg)
Deucalion desertarum Wollaston Specimen Type: paralectotype Institution: BMNH British Museum Natural History, London, UK Photographer: Keita Matsumoto Collection Location: Isla Deserta Grande, Madeira, Portugal 65857
|
_Wollaston_BMNH_Paradeucalion_KM.jpg)
Deucalion desertarum Wollaston Specimen Type: paralectotype Institution: BMNH British Museum Natural History, London, UK Photographer: Keita Matsumoto Collection Location: Isla Deserta Grande, Madeira, Portugal 65858
|
|