_Martins_MNRJ_SWL_=_Tropidion.jpg)
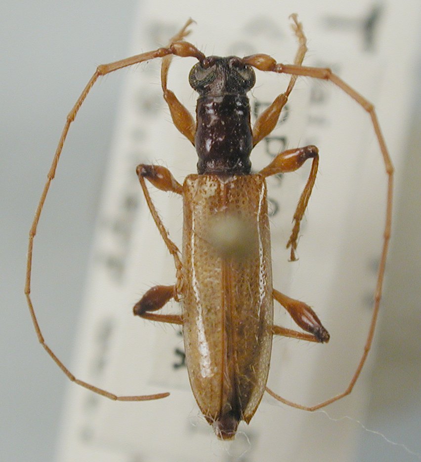
Ibidion atricolle Martins Specimen Type: holotype Sex: m Institution: MNRJ Museu Nacional Universidade do Rio Janeiro, Brazil Photographer: Steve Lingafelter Collection Location: Córrego do Itá, Espirito Santo, Brazil 8645
|
 Baixo Guandi, Espirito Santo, Brazil det Napp JCPC LGB.jpg)
Institution: JCPC Jim Cope Collection, San Jose, California, USA now at CSCA, Sacramento Photographer: Larry G. Bezark Determiner: Dilma Napp Collection Location: Baixo Guandi, Espirito Santo, Brazil 98107
|