_Wang_Chiang_SAUC_Monghai_Yunnan_China_Li_Chen_pic.jpg)
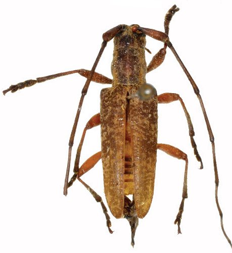
Specimen Type: holotype Sex: m Institution: SAUC Insect Collection of the Southwest Agricultural University, Chongqing, China Photographer: Li Chen Collection Location: Monghai, Yunnan Province, China 70696
|
_Wang_Chiang_SAUC_Monghai_Yunnan_China_Li_Chen_pic.jpg)
Specimen Type: holotype Sex: m Institution: SAUC Insect Collection of the Southwest Agricultural University, Chongqing, China Photographer: Li Chen Collection Location: Monghai, Yunnan Province, China 70697
|

Institution: LGBC Larry G. Bezark Collection, Sacramento, California, USA Photographer: Larry G. Bezark Collection Location: Yen Bai, Vietnam 81900
|
|