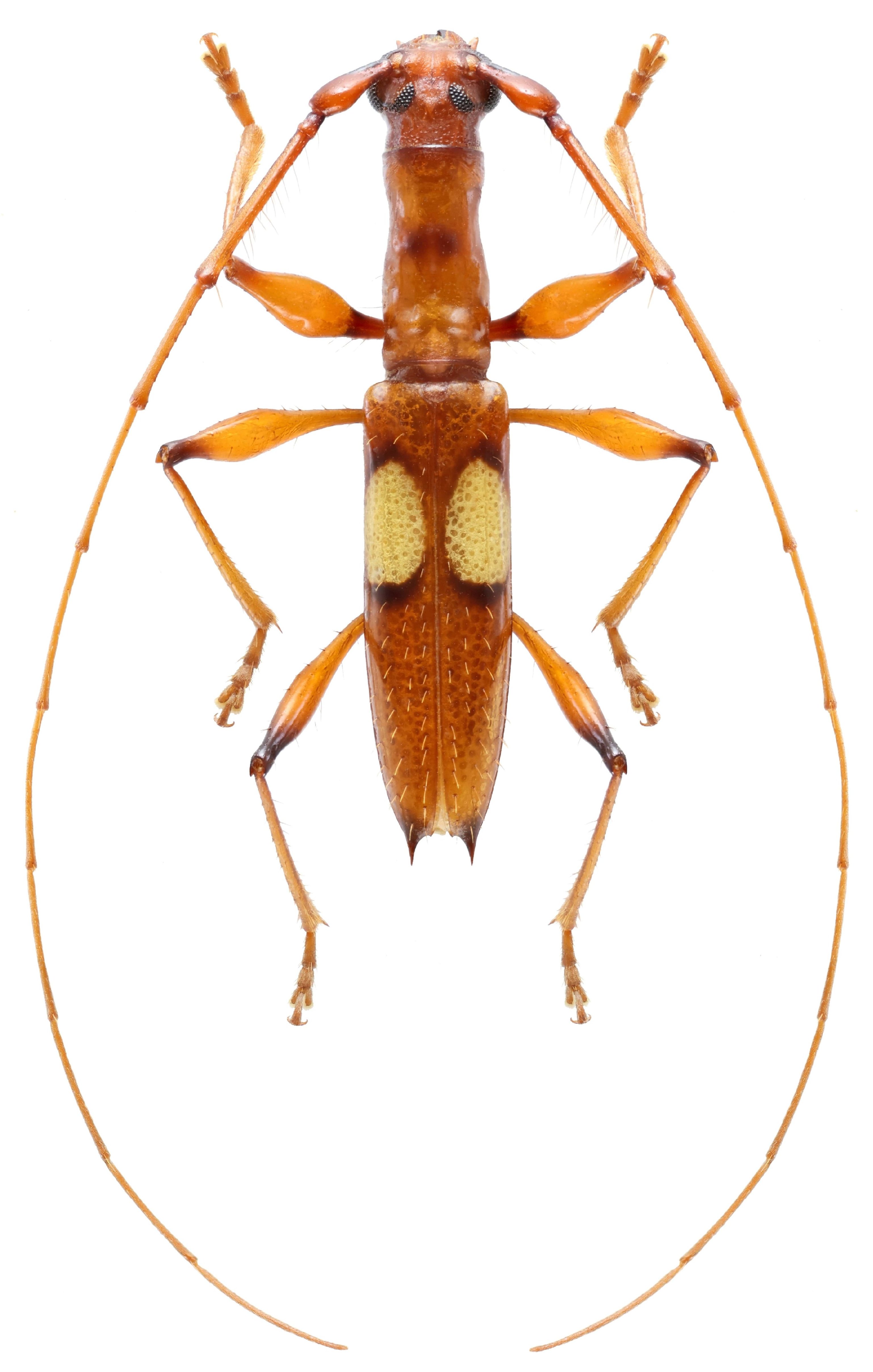
 Martins Korou, French Guiana Robin.jpg)
Sex: m Photographer: Frédéric Robin Collection Location: Kourou, French Guiana 80531
|

Photographer: Jean-Louis Giuglaris Collection Location: Kaw, French Guiana 28776
|
_plate_Arq_de_Zoo.jpg)
23448
|
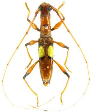
_Bolivia_Wappes_Photo.jpg)
Photographer: Jim Wappes Collection Location: Bolivia 7981
|
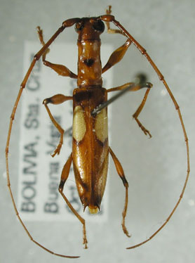
_Buena_Vista_Bolivia_Giesbert_Coll_FSCA.jpg)
Institution: EMG Ed Giesbert Collection (now at FSCA) Photographer: Larry G. Bezark Collection Location: Buena Vista, Bolivia 7982
|
|