New Search Family, Subfamily and Tribe List

SubFamily Cerambycinae

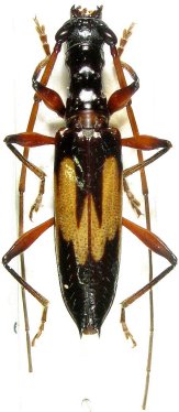
Tribe Tropidini Tropidina
Gnomibidion denticolle (Dalman, 1823)

23445


Institution: UCB Essig Museum of Entomology, Berkeley, California, USA
Photographer: Larry G. Bezark
Determiner: Martins
Collection Location: Brazil
7974


Photographer: Ole Mehl
Collection Location: Department Alto Parana, Paraguay
36787

130425