_JAC.jpg)
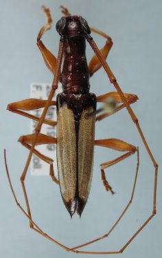
Ibidion cylindricum Thomson Specimen Type: holotype? Sex: m Institution: MNHN Museum of Natural History Paris, France Photographer: John Chemsak Collection Location: Brazil 16677
|
_Linsley_CAS_4437_LGB_=_Gnomibidion.jpg)
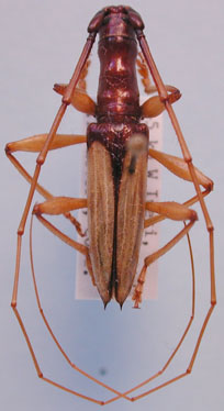
Octoplon eburnipenne Linsley Specimen Type: holotype Sex: m Institution: CAS California Academy of Sciences, San Francisco, CA, USA Photographer: Larry G. Bezark Collection Location: Ciricito, Canal Zone, Panama 23109
|
.jpg)
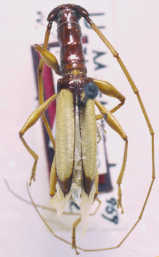
Institution: FTH Frank T. Hovore collection (now at California Academy of Sciences) Photographer: Larry G. Bezark Collection Location: 29 km E Camita, Panama 28156
|
.jpg)
Institution: FTH Frank T. Hovore collection (now at California Academy of Sciences) Photographer: Larry G. Bezark Collection Location: 29 km E Camita, Panama 28157
|
_Martins_plate_Arq_de_Zoo.jpg)
23444
|
_LGB.jpg)
Institution: FTH Frank T. Hovore collection (now at California Academy of Sciences) Photographer: Larry G. Bezark Collection Location: 5 km W Ipeti, Kuna de Madungandí Province, Panama 7973
|
 (Thomson) Carabobo, Venezuela LGB.jpg)
Sex: f Institution: LGBC Larry G. Bezark Collection, Sacramento, California, USA Photographer: Larry G. Bezark Determiner: confirmed by Antonio Santos-Silva Collection Location: Carabobo, Venezuela 96414
|
 (Thomson) Carabobo, Venezuela LGB.jpg)
Sex: f Institution: LGBC Larry G. Bezark Collection, Sacramento, California, USA Photographer: Larry G. Bezark Determiner: confirmed by Antonio Santos-Silva Collection Location: Carabobo, Venezuela 96415
|
|