_Linlsey_El_Salvador_USNM_SWL_=_Diasporidion_duplicatum_(Gounelle).jpg)
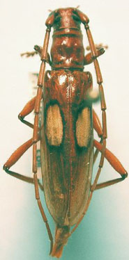
Ibidion binoculatum Linsey Specimen Type: holotype Sex: m Institution: NMNH United States National Museum, Washington, DC, USA Photographer: Steve Lingafelter Collection Location: San Salvador, El Salvador 8648
|
_LGB.jpg)
Photographer: Larry G. Bezark 6596
|
_16-17km_N_Felipe_Carillo_Puerto_Q_Roo_FTH_CASC_LGB.jpg)
Photographer: Larry G. Bezark Collection Location: 16-17 km N Felipe Carillo Puerto, Quintana Roo, Mexico 27290
|
_16-17km_N_Felipe_Carillo_Puerto_Q_Roo_FTH_CASC_LGB.jpg)
Photographer: Larry G. Bezark Collection Location: 16-17 km N Felipe Carillo Puerto, Quintana Roo, Mexico 27291
|
|