 Martins MZSP Lavras, Minas Gerais, Brazil now pallida SS.jpg)
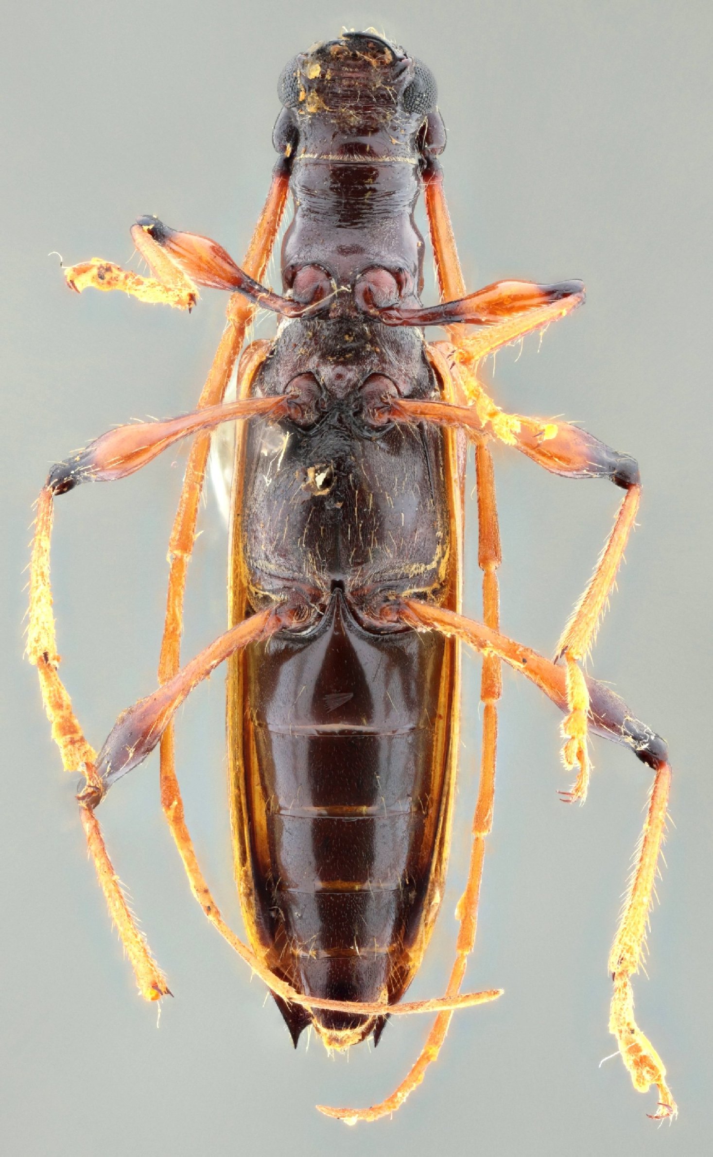
Alcyopis nigrovittata Martins Specimen Type: holotype Sex: f Institution: MZSP Museu de Zoologia da Universidade de São Paulo, Brazil Photographer: Antonio Santos-Silva Collection Location: Lavras, Minas Gerais, Brazil 98049
|
 Martins MZSP Lavras, Minas Gerais, Brazil now pallida SS.jpg)
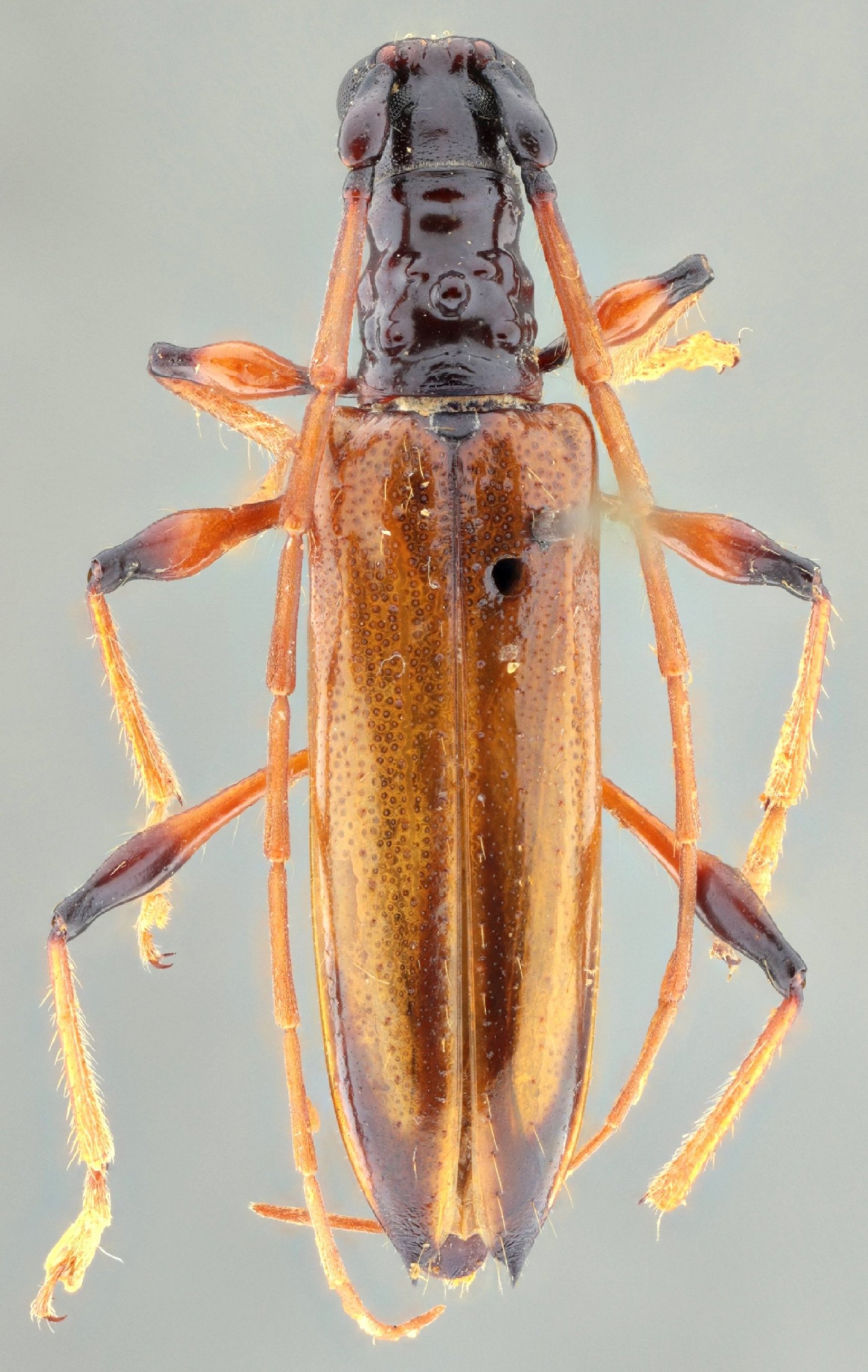
Alcyopis nigrovittata Martins Specimen Type: holotype Sex: f Institution: MZSP Museu de Zoologia da Universidade de São Paulo, Brazil Photographer: Antonio Santos-Silva Collection Location: Lavras, Minas Gerais, Brazil 98050
|