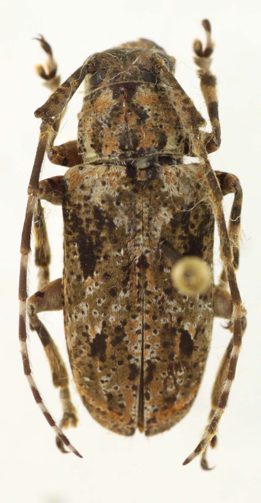
 Breuning MNHN Osaka, Honshu, Japan GC.jpg)
Specimen Type: holotype © MNHN Sex: f Institution: MNHN Museum of Natural History Paris, France Photographer: Gerard Chemin, Cerambycoidea Forum Collection Location: Osaka, Honshu, Japan 101134
|
_Breuning_Taiwan_USNM.jpg)
Specimen Type: syntype? Sex: f Institution: NMNH United States National Museum, Washington, DC, USA Photographer: Steve Lingafelter Collection Location: Taiwan 35895
|