_White_BMNH_Santarem_Para_Braz_nowAposphaerion_LGB.jpg)
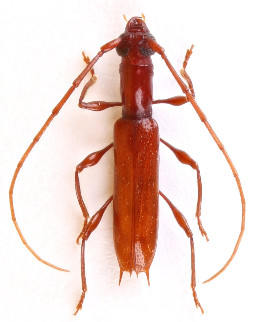
Ibidion unicolor White Specimen Type: holotype Sex: f Institution: BMNH British Museum Natural History, London, UK Photographer: Larry G. Bezark Collection Location: Santarem, Para, Brazil 46920
|
_Chacurru_LGB.jpg)
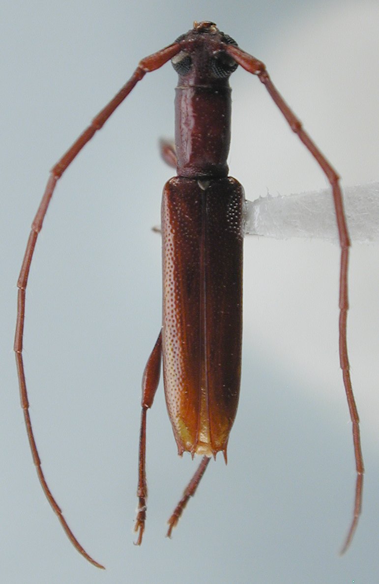
Institution: LGBC Larry G. Bezark Collection, Sacramento, California, USA Photographer: Larry G. Bezark Collection Location: Chacurru Ecotourism, Amambay, Paraguay 72203
|