_Napp_and_Martins_Perija_Zulia_Venezuela_Pap_Avuls_Zoo.jpg)
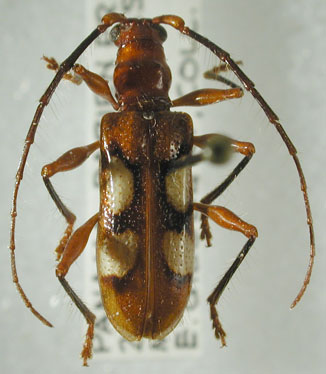
Specimen Type: paratype Sex: m Collection Location: Perija Zulia, Venezuela 25254
|

Institution: EMG Ed Giesbert Collection (now at FSCA) Collection Location: Darien Province, Panama 13940
|

Institution: MZUS Museo Zoológico de la Universidad de Sucre, Sucre, Colombia Photographer: Juan Pablo Botero Collection Location: Sincelejo, Coloso, Sucre, Colombia 72893
|

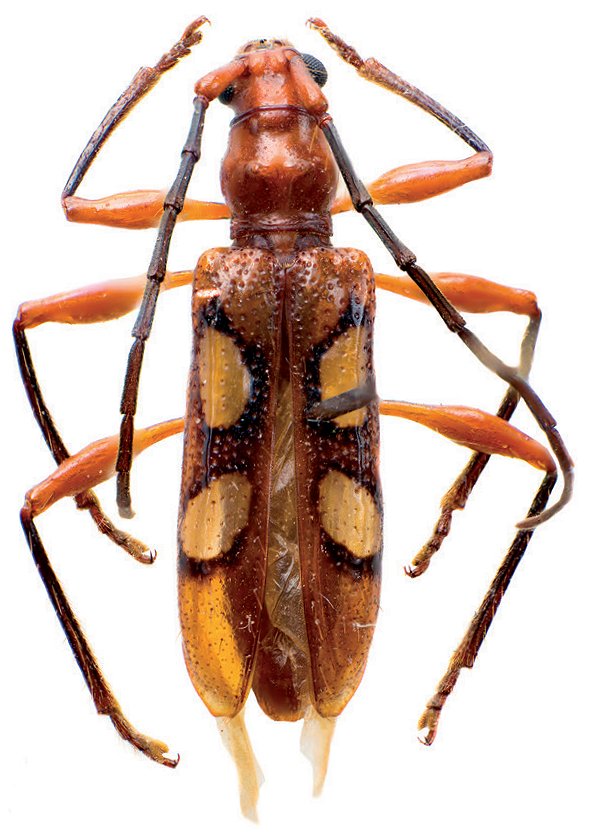
Institution: WHTC William H. Tyson Collection, Coarsegold, California, USA Photographer: Larry G. Bezark Collection Location: File De Tallo, Metati, Darien, Panama 49130
|

Institution: WHTC William H. Tyson Collection, Coarsegold, California, USA Photographer: Larry G. Bezark Collection Location: File De Tallo, Metati, Darien, Panama 49131
|
|