_Fisher_Venezuela_USNM_SWL_=_Tapuruia.jpg)
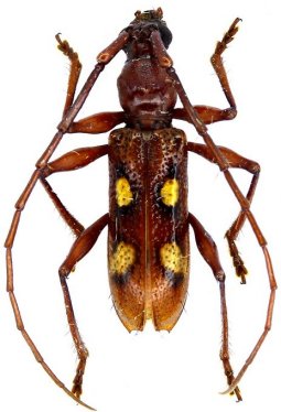
Ibidion beebei Fisher Specimen Type: holotype Sex: f Institution: NMNH United States National Museum, Washington, DC, USA Photographer: Steve Lingafelter Collection Location: Caripito, Monagas, Venezuela 8647
|
_Det_Tavakilian_Guyana_UCB.jpg)
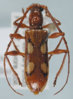
Institution: UCB Essig Museum of Entomology, Berkeley, California, USA Photographer: Larry G. Bezark Determiner: Tavakilian Collection Location: Guyana 13937
|
.jpg)
Institution: FTH Frank T. Hovore collection (now at California Academy of Sciences) Photographer: Larry G. Bezark Collection Location: road to Kaw r-40, French Guiana 28345
|
.jpg)
Institution: FTH Frank T. Hovore collection (now at California Academy of Sciences) Photographer: Larry G. Bezark Collection Location: road to Kaw r-40, French Guiana 28346
|

Photographer: Jean-Louis Giuglaris Collection Location: Kaw, French Guiana 29376
|
_Faure_French_Guiana.jpg)
Photographer: Denis Faure Collection Location: French Guiana 25252
|
|