New Search Family, Subfamily and Tribe List

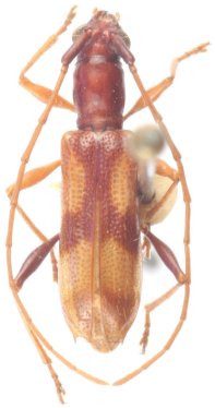
SubFamily Cerambycinae

Tribe Hexoplonini
Ophtalmoplon spinosum Martins 1965

Photographer: Marcela Monne
Collection Location: Itatiaia National Park, Rio de Janeiro, Brazil
27892

130425