New Search Family, Subfamily and Tribe List

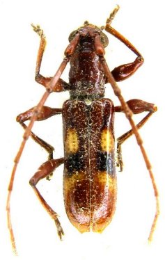
SubFamily Cerambycinae

Tribe Hexoplonini
Ophtalmoplon inerme Martins 1965

Specimen Type: holotype
Sex: f
Institution: NMNH United States National Museum, Washington, DC, USA
Collection Location: Saint-Jean du Maroni, French Guiana
26281


Photographer: Jean-Louis Giuglaris
Collection Location: Belizon, French Guiana
29155


Photographer: Jim Wappes
Collection Location: Bolivia
11339


Photographer: Denis Faure
Collection Location: French Guiana
22320

130425