
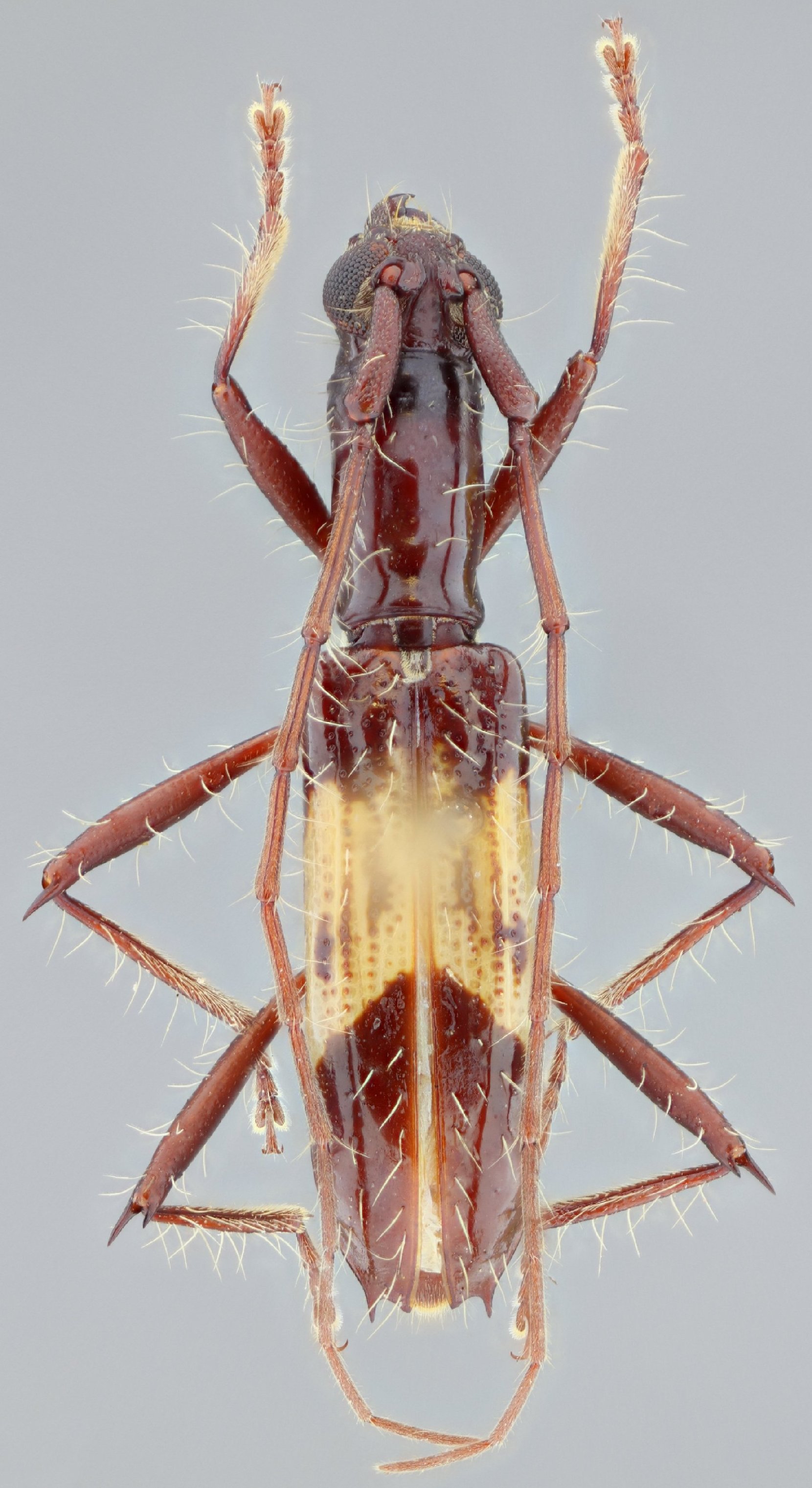
Sex: f Institution: MZSP Museu de Zoologia da Universidade de São Paulo, Brazil Photographer: Larry G. Bezark Determiner: Martins Collection Location: Rancho Grande, Aragua, Venezuela 33654
|
_(Martins)_Rancho_Grande_Aragua_Venezuela_SS.jpg)
Sex: f Institution: MZSP Museu de Zoologia da Universidade de São Paulo, Brazil Photographer: Antonio Santos-Silva Collection Location: Rancho Grande, Aragua, Venezuela 70077
|
_(Martins)_Rancho_Grande_Aragua_Venezuela_SS.jpg)
Sex: f Institution: MZSP Museu de Zoologia da Universidade de São Paulo, Brazil Photographer: Antonio Santos-Silva Collection Location: Rancho Grande, Aragua, Venezuela 70078
|
_(Martins)_Rancho_Grande_Aragua_Venezuela_SS.jpg)
Sex: f Institution: MZSP Museu de Zoologia da Universidade de São Paulo, Brazil Photographer: Antonio Santos-Silva Collection Location: Rancho Grande, Aragua, Venezuela 70079
|
_(Martins)_Rancho_Grande_Aragua_Venezuela_SS.jpg)
Sex: f Institution: MZSP Museu de Zoologia da Universidade de São Paulo, Brazil Photographer: Antonio Santos-Silva Collection Location: Rancho Grande, Aragua, Venezuela 70080
|
|