New Search Family, Subfamily and Tribe List

SubFamily Cerambycinae

Tribe Hexoplonini
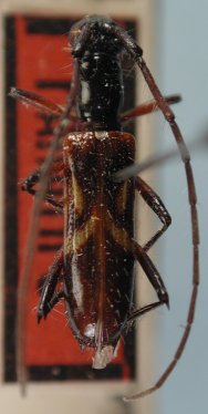
Notosphaeridion brevithorax (Martins, 1960)

Specimen Type: metatype
Institution: MZSP Museu de Zoologia da Universidade de São Paulo, Brazil
Photographer: Larry G. Bezark
Collection Location: Sao Paolo, Brazil
33653

130425