New Search Family, Subfamily and Tribe List

SubFamily Lamiinae

Tribe Desmiphorini
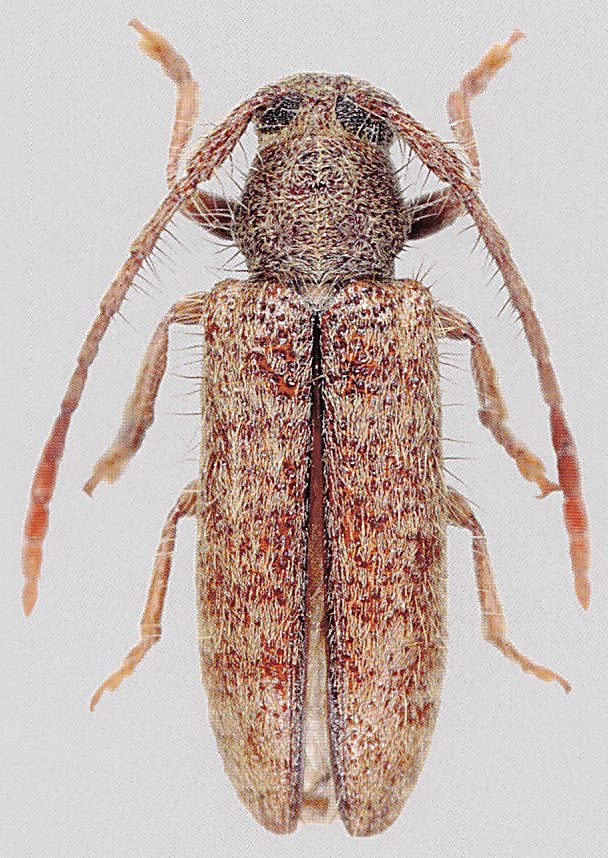
Sophronica persimilis Breuning 1940

Sex: f
Photographer: Karl Adlbauer
Collection Location: Ethiopia
72963

130425