New Search Family, Subfamily and Tribe List

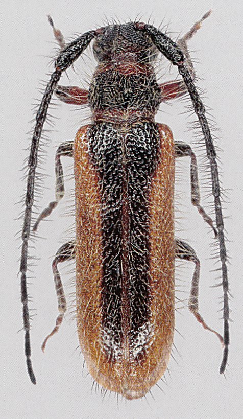
SubFamily Lamiinae

Tribe Desmiphorini
Sophronica dorsovittata Breuning 1940

Sex: m
Photographer: Karl Adlbauer
Collection Location: Ethiopia
72950

130425