New Search Family, Subfamily and Tribe List

SubFamily Cerambycinae

Tribe Hexoplonini
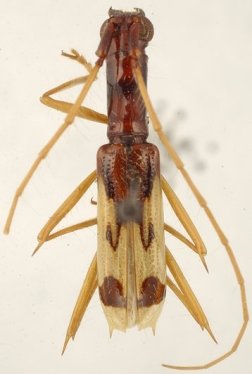
Hexoplon lucidum Martins 1962

Specimen Type: holotype
Sex: f
Institution: AMNH American Museum of Natural History, New York, NY, USA
Collection Location: Playa de Moncalvo, Los Rios, Ecuador
27775


23484


21363

130425