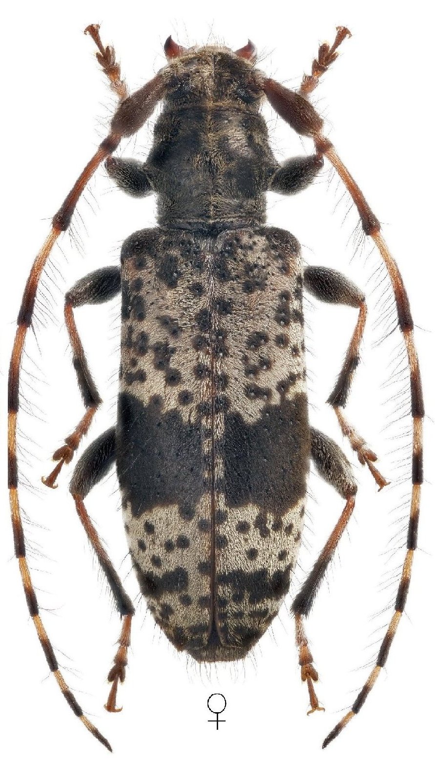
_Blessig_Putintsevo_East_Kazakhstan_Region_Kazakhstan_Karpinski_pic.jpg)
Sex: f Photographer: Lech Karpinski Collection Location: Putintsevo, East Kazakhstan Region, Kazakhstan 70307
|
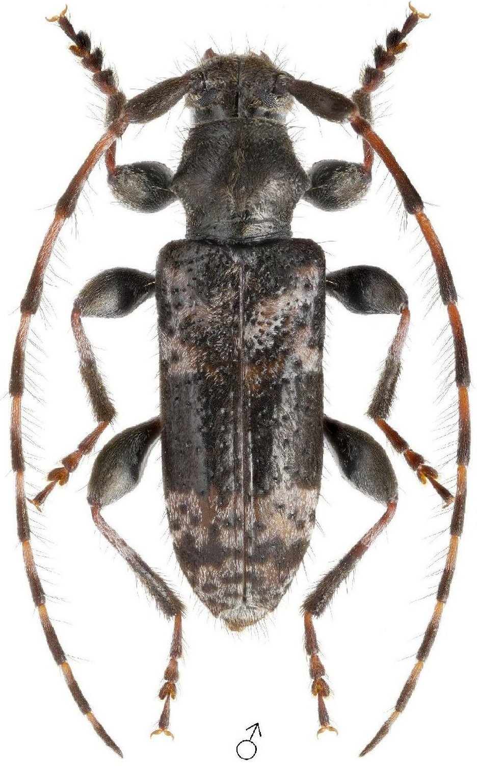
_Blessig_Putintsevo_East_Kazakhstan_Region_Kazakhstan_Karpinski_pic.jpg)
Sex: m Photographer: Lech Karpinski Collection Location: Putintsevo, East Kazakhstan Region, Kazakhstan 70306
|

Institution: LGBC Larry G. Bezark Collection, Sacramento, California, USA Photographer: Larry G. Bezark 60208
|
_(Blessig)_Japan_Osaka_Pref_Mt_Kodaji-San_Ziarko.jpg)
Sex: m Photographer: Szczepan Ziarko Collection Location: Mt Kodaji-San, Osaka Prefecture, Japan 60209
|
 Blessig Zastava Dokuchayeva, Kuril Isl, Sakhalin, Russia Makarov.jpg)
Photographer: Kirill V. Makarov Collection Location: Zastava Dokuchayeva, Kuril Islands, Sakhalin, Russia 60210
|
 Blessig Kamenystyi Cr, Borisovskoye Plateau, Prim krai Sakh, Russia Blessig Makarov.jpg)
Sex: f Photographer: Kirill V. Makarov Collection Location: Kamenystyi Cr, Borisovskoye Plateau, Primorsky krai, Sakhalin, Russia 81849
|
|