
Photographer: Kirill V. Makarov Collection Location: Severyanka River Valley, Kuril Islands, Sakhalin Region, Russia 81847
|

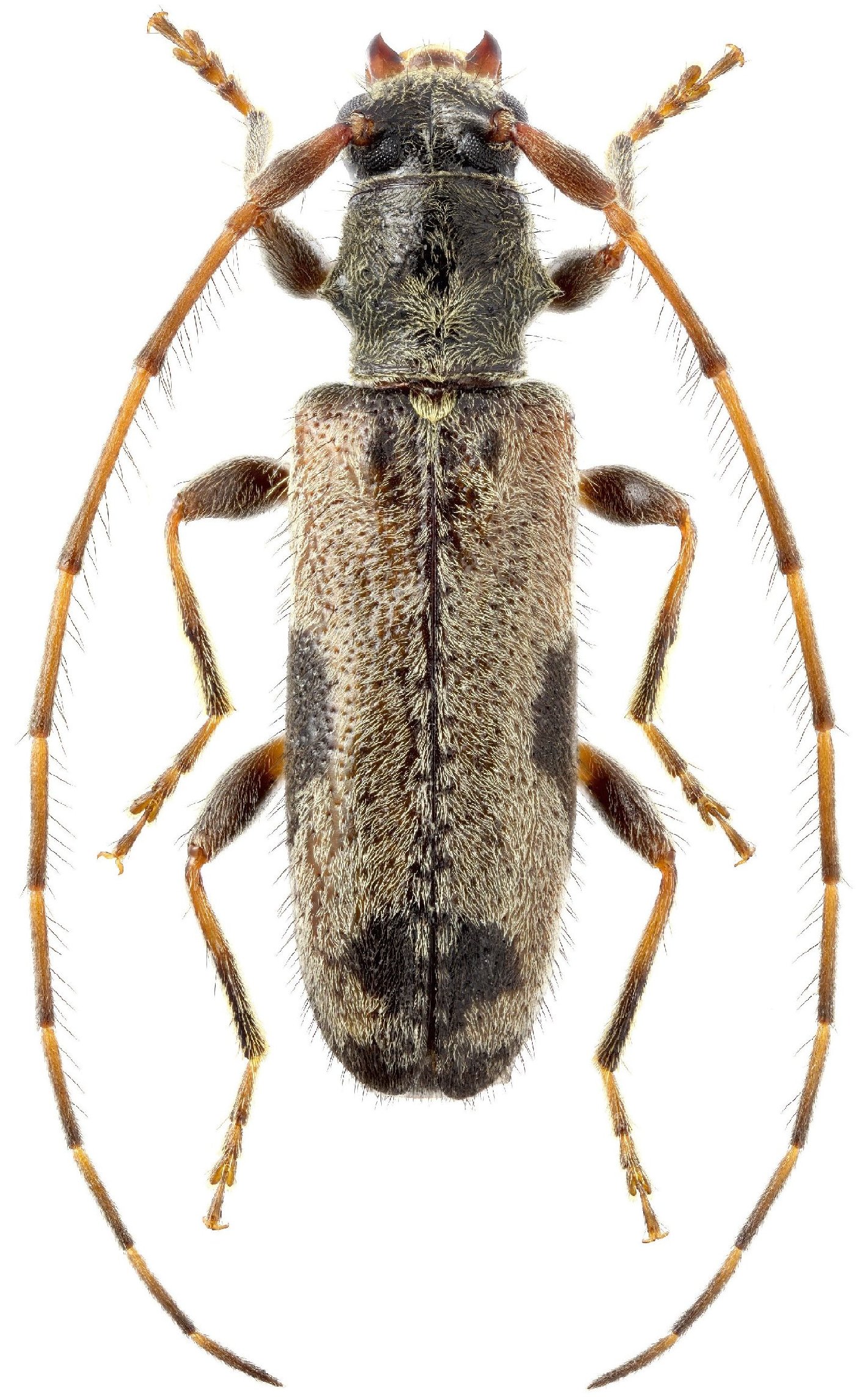
Institution: CAS California Academy of Sciences, San Francisco, CA, USA Photographer: Larry G. Bezark Collection Location: Sapporo, Japan 60207
|